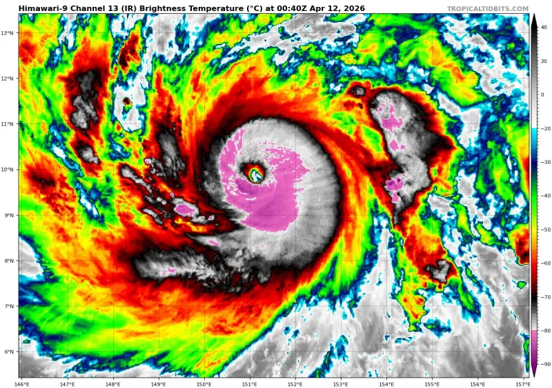
辛樂克颱風開眼了!氣象署:估午後升級強颱 最新大迴轉路徑出爐

▲辛樂克颱風出現明顯颱風眼,預估今天晚間有機會升級為強颱。(圖/翻攝tropical tidbits)
記者張志浩/綜合報導-2026-04-12 09:07:04
今年第4號颱風辛樂克(SINLAKU)強度持續上升中,且已經出現明顯的「颱風眼」,氣象專家吳德榮、中央氣象署表示,預估今(12)日午後至晚間,就會增強為強烈颱風,未來將在日本南方海面大迴轉,對台灣、日本皆無影響。

辛樂克颱風開眼 暴風半徑恐達380公里

天氣風險公司資深顧問吳聖宇指出,辛樂克颱風眼浮現,快要達到強烈颱風等級,未來暴風半徑更有可能達到380公里,最新的路徑來看,「關島似乎避過了被正面侵襲的威脅,但是風雨應該還是會不小。」

▲辛樂克颱風眼浮現,最接近的關島雖然避過正面侵襲,但仍會有明顯風雨。(圖/天氣職人-吳聖宇臉書)
辛樂克今天轉強颱 路徑不侵台

吳德榮則透過「洩天機教室」專欄說明,辛樂克颱風將於今天晚間增強為「強烈颱風」,路徑持續向關島方向前進,未來將在日本南方海面「大迴轉」,迴轉位置雖然還不確定,但距離台灣及日本相當遠、與「4月颱、不侵台」的氣候資料相符合。

中央氣象署預報員張承傳則補充,上午8點近中心最大風速每秒48公尺,仍為中度颱風,下半天就有機會增強為強烈颱風,強度仍可能持續增強。路徑朝西北方向移動,逐漸轉向北方,距離台灣最近仍有2000多公里,對台灣沒有直接影響。

▲歐洲、美國模式街預測,辛樂克颱風未來將在日本南方海面「大迴轉」,迴轉位置雖然還不確定。(圖/洩天機教室)
未來一周依舊炎熱 僅微弱鋒面掠過

近期天氣方面,吳德榮提及,今天至周二(4月14日)台灣晴朗穩定、清晨容易有霧,白天熱如夏,需注意防囇,北部20至34度、中部21至34度、南部19至36度、東部18至35度。

吳德榮強調,周三、周四(4月15日至4月16日)微弱鋒面在北部海面徘徊,各地多雲時晴、北台灣高溫微降、各地仍偏暖熱;北部偶爾會有局部短暫降雨的機率。周五(4月17日)微弱鋒面掠過,北部、東半部轉有局部短暫降雨的機率。

周六、周日(4月18日至4月19日)天氣好轉,僅午後山區有局部短暫陣雨。下周一、下周二(4月20日至4月21日)華南有水氣移入,大氣轉為不穩定;雲量增多,午後有局部陣雨的機率。

我是廣告 請繼續往下閱讀

我是廣告 請繼續往下閱讀