35年來最強4月颱!辛樂克登頂風王:教科書等級 最新路徑大迴轉

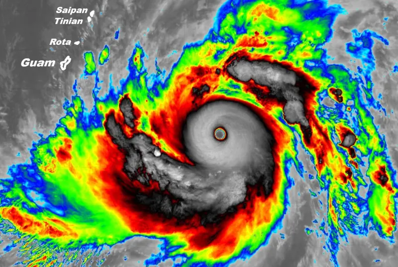
▲今年第4號颱風辛樂克強度持續攀升,中心最大風速達每秒60公尺,創下1991年以來最強4月颱紀錄,同時也是1958年以來半徑最大的4月颱。(圖/臉書粉專「天氣職人-吳聖宇」)
記者賴禹妡/綜合報導-2026-04-13 09:09:37
今年第4號颱風辛樂克竟登頂今年風王,氣象專家吳聖宇在臉書粉專「天氣職人-吳聖宇」表示,辛樂克颱風中心最大風速達每秒60公尺,創下1991年以來最強4月颱紀錄,同時也是1958年以來半徑最大的4月颱。辛樂克颱風結構完整,眼牆與雨帶清晰,並可能進入眼牆置換階段,最新路徑將在日本南方海域大迴轉,未來36至48小時仍有發展空間,可能成為教科書等級的案例。

辛樂克颱風登頂風王!35年來最強4月颱 眼牆超清楚

吳聖宇12日晚間22時發文指出,氣象署於周日晚間已將辛樂克颱風中心最大風速提升至60m/s,七級風暴風半徑達350公里,成為自1991年採用10分鐘平均風速評定標準以來最強的4月颱,同時也是1958年以來半徑最大的4月颱。

從衛星影像來看,辛樂克颱風結構相當完整,眼牆清晰可辨,主雨帶與次雨帶分布明確,整體發展趨於成熟,可能即將進入眼牆置換階段。

▲辛樂克颱風結構完整,眼牆與雨帶清晰,並可能進入眼牆置換階段,未來36至48小時仍有發展空間。(圖/臉書粉專「天氣職人-吳聖宇」)
根據氣象署最新颱風資訊,辛樂克颱風13日2時的中心位置在北緯11.6度,東經149.5度,以每小時17公里速度,向西北西進行。中心氣壓895百帕,近中心最大風速每秒60公尺,瞬間最大陣風每秒75公尺,七級風平均暴風半徑350公里,十級風平均暴風半徑180公里。

辛樂克颱風成「教科書等級」案例!未來路徑大迴轉

吳聖宇提到,在前3個颱風存在感較低之後,第4號颱風辛樂克竟直接成為「風王候選」,所幸對台灣沒有影響。辛樂克颱風未來路徑將在日本南方海域出現大幅轉向,預估接下來36至48小時內環境條件仍相當有利其發展,後續變化值得持續觀察,「應該會是一個教科書等級的案例」。

至於本週台灣天氣,將逐漸回歸較典型的春季型態,鋒面來回擺盪,東北季風時強時弱,但整體系統強度不高。天氣變化較明顯的區域仍集中在北部與東半部,偶有降雨與氣溫起伏;中南部則相對穩定,維持偏熱的天氣型態。

▲辛樂克颱風未來路徑將在日本南方海域出現大幅轉向,對台灣不會造成影響。(圖/中央氣象署www.cwa.gov.tw/)

我是廣告 請繼續往下閱讀

我是廣告 請繼續往下閱讀