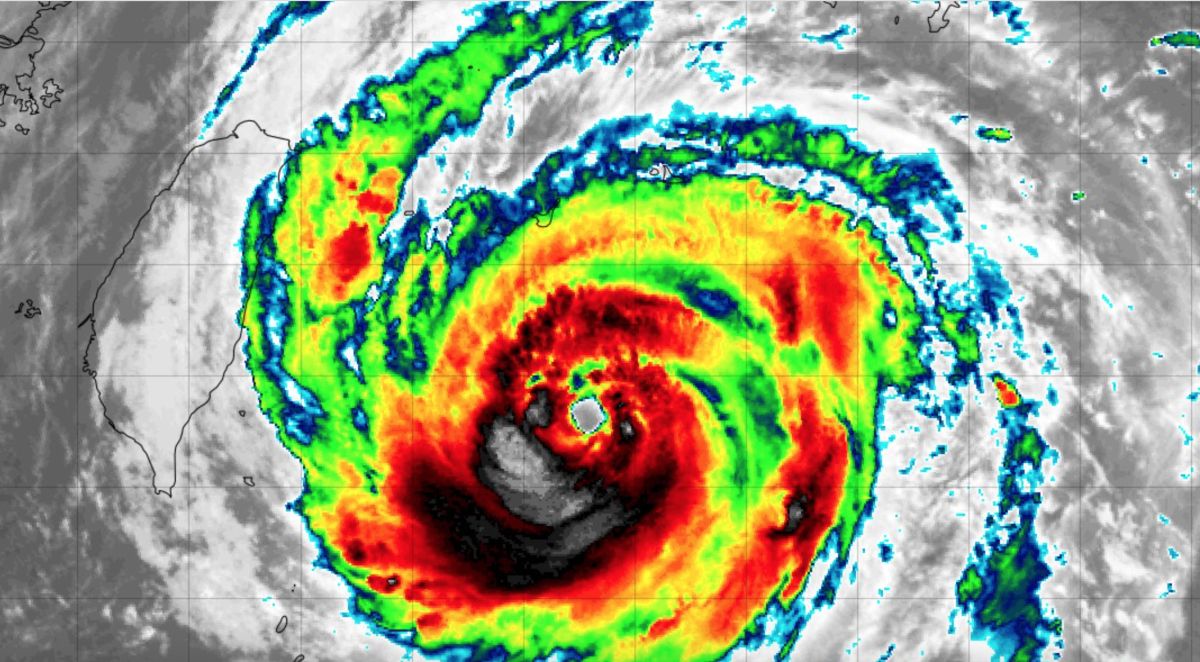
中央氣象局最新觀測資料,中度颱風梅花今(11)日凌晨2點的中心位置在北緯22.0度,東經125.0度,以每小時8公里速度,向北北西進行。中心氣壓965百帕,近中心最大風速每秒35公尺,瞬間最大陣風每秒45公尺,七級風暴風半徑150公里,十級風暴風半徑50公里。今日早上可能就會發布海上颱風警報,至於暴風圈會否觸陸,則要看未來路徑會否偏西暴風半徑會否大幅擴大

我是廣告 請繼續往下閱讀
今日受到颱風外圍環流影響,北部、東半部地區及澎湖有雨,北台灣山區、基隆北海岸需注意局部大雨。今日新竹至高雄、東半部沿海空曠地區及澎湖將有8至9級強陣風,明日西半部、東部以北沿海空曠地區及蘭嶼、綠島、馬祖及澎湖將有8至9級強陣風;今明兩天基隆北海岸、東半部、恆春半島沿海及馬祖有長浪發生的機率,請注意。

氣象專家吳德榮在「三立準氣象·老大洩天機」專欄撰文表示,今日「梅花」大致朝石垣島方向前進,即將進入導引氣流弱的海域,移速減慢;12、13日在石垣島附近滯留打轉,14日緩慢轉北,逐漸加速。以目前「梅花」的預報資料而言,其暴風圈將通過台灣東部鄰近100公里海域,但暴風圈西側是否觸及陸地?則需持續密切觀察。

▲根據梅花的路徑潛勢預測圖,暴風圈侵襲的機率以基隆縣和宜蘭縣最高,達到44%。台北市也有41%。(圖/中央氣象局)
▲根據梅花的路徑潛勢預測圖,暴風圈侵襲的機率以基隆縣和宜蘭縣最高,達到44%。台北市也有41%。(圖/中央氣象局)
吳德榮指出,今日北部、東北部雲量增,轉有局部雨,其他各地多雲時晴,偶有局部短暫降雨的機率;北台白天氣溫略降。各地區氣溫:北部22至28度,中部22至33度,南部22至34度,東部21至33度。

吳德榮表示,明日至週三上午,「梅花」暴風圈邊緣及其外圍環流影響,沿海風力強,北部、東北部及中部山區有明顯降雨,皆應注意防範;其他地區受影響相對較小,偶有局部短暫降雨的機率;北台白天轉涼,中南部高溫略降。週三下半天起「梅花」漸遠離,北台降雨趨緩,天氣漸好轉。週四至週六各地恢復穩定,天氣大多晴時多雲,白天氣溫回升至33至35度。(編輯:倪浩軒)