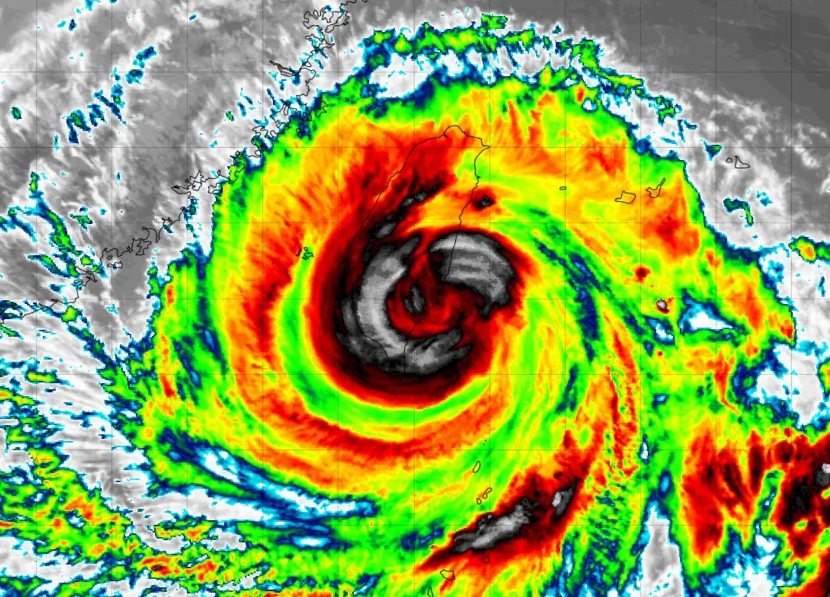
中央氣象局表示,海葵颱風(國際命名:Haikui)在今(3)日下午3時40分,中心已經登陸「台東縣東河鄉」,終結1472天無颱風登陸台灣紀錄,中央氣象局預報員劉宇其表示,海葵颱風結構扎實、颱風眼清晰,稍早路徑通過綠島時,吹起16級強風,台東成功也有15級陣風,東半部、南部的風雨越晚也會越明顯。
劉宇其提醒,海葵颱風登陸後,颱風眼通過的地區風雨會有趨緩的感覺,但隨著颱風眼通過,周圍眼牆抵達時,第二波風雨可能會比第一波還強,風向的改變也需要特別留意,此外,颱風傍晚持續往西,中南部今晚至到明天清晨,風雨增強,可能會有局部大雨或豪雨。東半部風雨則持續劇烈,入夜後雲林以南都要小心10至11級強風。
針對海葵颱風路徑,劉宇其說明,預估台灣本島明(4)日晚上會脫離暴風圈,週二(9月5日)上半天離島跟進脫離,並慢慢解除颱風警報。海葵颱風在登陸台灣後,整體強度會快速減弱,最快今日深夜或明日凌晨會轉為輕颱,並往台灣海峽移動,後續「回馬槍」殺回台灣的機率越來越低。

▲氣象局指出,海葵颱風會以中颱等級登陸台灣,花東地區風雨影響最為嚴重。(圖/中央氣象局提供)
我是廣告 請繼續往下閱讀
針對海葵颱風路徑,劉宇其說明,預估台灣本島明(4)日晚上會脫離暴風圈,週二(9月5日)上半天離島跟進脫離,並慢慢解除颱風警報。海葵颱風在登陸台灣後,整體強度會快速減弱,最快今日深夜或明日凌晨會轉為輕颱,並往台灣海峽移動,後續「回馬槍」殺回台灣的機率越來越低。

更多「海葵颱風動態」相關新聞。