今年第15號颱風、10月7日生成的布拉萬颱風(國際命名: Bolaven)今(11)日上午已增強為「強烈颱風」,目前位置仍在關島附近海面,路徑上將持續向西北轉北再轉東北,並在日本南方遠海大迴轉遠離,布拉萬也成為今年第3個強烈颱風,所幸對台灣、日本陸地皆無影響。
據中央氣象署最新觀測資料,強颱布拉萬距離台灣有2600公里,以每小時18公里的速度向北北西進行,近中心最大風速每秒51公尺,瞬間最大陣風每秒63公尺,七級風平均暴風半徑250公里,十級風平均暴風半徑80公里,是強度、結構扎實,且體型很大的颱風。

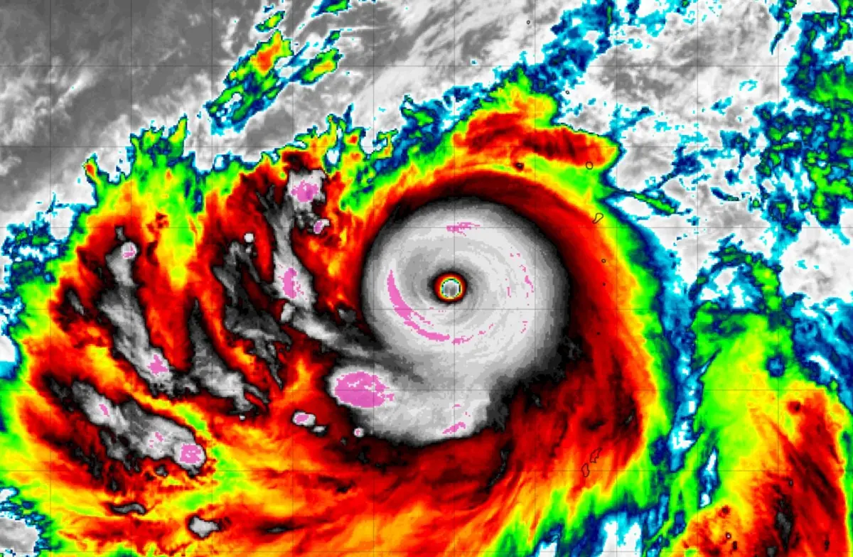
▲布拉萬颱風持續向北北西進行,未來會轉東北遠離日本陸地,對台灣無影響。(圖/翻攝中央氣象署官網) 臉書天氣粉專「台灣颱風論壇|天氣特急」表示,布拉萬持續增強,颱風眼清晰銳利,核心呈現正圓非常紮實,是繼蘇拉、瑪娃之後,今年第3個強烈颱風,且布拉萬還會持續增強,成為5級熱帶氣旋(強颱中的強颱),「好在布拉萬已經開始北上,明天會再轉向東北,對日本、台灣均無影響。」
氣象署表示,由於布拉萬颱風在生成後就不斷在海面上發展,除了沒有地形破壞結構外,也吸取大量的海水能量,搭配垂直風切小,自然形成超強超大的颱風,至於未來是否還有颱風侵台,氣象署則表明本週不受影響,下週週末可能有熱帶擾動發展,屆時將持續關注。
我是廣告 請繼續往下閱讀

氣象署表示,由於布拉萬颱風在生成後就不斷在海面上發展,除了沒有地形破壞結構外,也吸取大量的海水能量,搭配垂直風切小,自然形成超強超大的颱風,至於未來是否還有颱風侵台,氣象署則表明本週不受影響,下週週末可能有熱帶擾動發展,屆時將持續關注。