今年第4號颱風辛樂克(SINLAKU)出現明顯的「颱風眼」,中央氣象署表示,今(12)日下午2時正式升級為「強烈颱風」,也是2026年首顆強颱,未來路徑將在日本南方海面大迴轉,對台灣、日本皆無影響。

我是廣告 請繼續往下閱讀
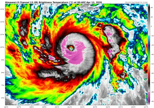
根據氣象署最新資料,辛樂克颱風下午2時中心位置在北緯10.3度,東經150.6度,以每小時17公里的速度向西北進行,近中心最大風速每秒55公尺,瞬間最大陣風每秒68公尺,七級風平均暴風半徑320公里。

▲辛樂克颱風出現明顯颱風眼,今天下午升級為強颱。(圖/翻攝tropical tidbits)
▲辛樂克颱風出現明顯颱風眼,今天下午升級為強颱。(圖/翻攝tropical tidbits)
氣象署預報員張承傳指出,辛樂克颱風還在關島東南東方海面上,路徑持續朝西北方移動,周六會逐漸往東北方轉向、遠離,由於整體活動範圍都在海面上,因此持續吸收能量,未來強度還會持續提升,暴風半徑也還有擴大趨勢。

張承傳強調,辛樂克颱風路徑主要受到太平洋高壓導引,距離台灣約有2千多公里,離日本也有1千多公里,對台灣天氣沒有影響。

張志浩編輯記者

畢業於中國文化大學新聞系,在《NOWNEWS今日新聞》家庭消費中心擔任記者,文章主題涵蓋氣象、醫藥、電玩3C等,擅長透過生活化、活潑的文字,搭配新聞現場照片,提供讀者即時訊息,協助民眾用最快的時間掌握複雜的議...