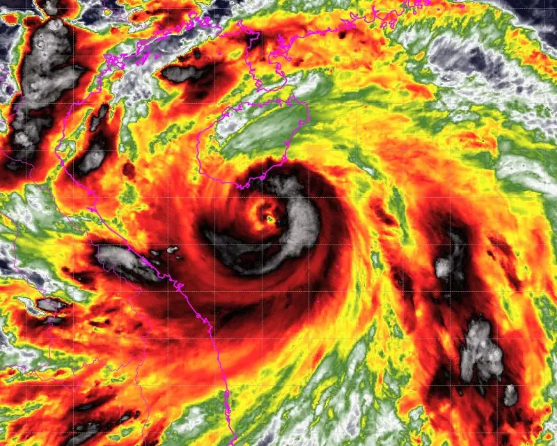
今年第13號颱風「劍魚」有機會挑戰強颱,路徑預估今(25)日下半天登陸越南,氣象專家賈新興表示,週三至週四(8/27至8/28)南海一帶,有熱帶系統發展,不排除下一號颱風「藍湖」生成;臉書天氣粉專「觀氣象看天氣」則提醒,今明兩天冷心低壓通過台灣,午後西半部要注意強降雨、強陣風、雷擊,甚至下冰雹的風險。
劍魚颱風挑戰強颱 將成「西北太平洋風王」
「觀氣象看天氣」說明,劍魚颱風即將成為今年西北太平洋風王,強度很有機會達到中颱上限、甚至強颱,去年越南才經歷登陸當地歷史最強颱風「魔羯」的侵擾,許多基礎建設仍在復甦,現在又將面對受地形破壞較少的劍魚颱風,今天下半天登陸時強度很可能與摩羯相當,提醒務必嚴加戒備。
▲劍魚颱風路徑,預估今(25)日下半天登陸越南。(圖/中央氣象署cwa.gov.tw) 本週還有熱帶系統發展 藍湖颱風週快週三生成
賈新興指出,目前南海至菲律賓東方海面,屬於環境不穩定的「季風低壓帶」,內部容易有熱帶系統發展,目前在菲律賓東方海面就有熱帶擾動,未來路徑會往西移動,通過呂宋島之後進入南海,熱帶擾動在南海會增強,週三至週四,有機會成為熱帶性低氣壓,甚至是「藍湖颱風」,不過目前看來,颱風生成的機率比較低一點。
賈新興提及,長期預報顯示,再下一個明顯的熱帶系統發展,會是9月4日至9月8日,由於太平洋高壓往北,菲律賓東方又會有更強的熱帶系統,且可能影響台灣天氣,這段時間需要先特別留意。
▲週三至週四(8/27至8/28)南海一帶,有熱帶系統發展,不排除下一號颱風「藍湖」生成。(圖/賈新興提供) 冷心低壓通過台灣 午後注意下冰雹
「觀氣象看天氣」表示,由於冷心低壓通過台灣,今明兩天,西半部的午後雷陣雨會變得更急、更旺盛,容易有短時強降雨、雷擊與強陣風,部分地區甚至有機會出現局部降下冰雹的狀況,與昨(24)日嘉南局部地區的情形類似。
賈新興提醒,今明兩天,午後苗栗以南、宜花東有局部短暫陣雨;週三,午後苗栗以南有局部短暫陣雨,宜花東、新竹以北也有零星短暫陣雨。週四至週五(8/29),南台東至鵝鑾鼻一帶有零星短暫雨,午後苗栗以南、宜花東有零星短暫陣雨。週六(8/30),南台東至恆春一帶有零星短暫雨,午後新竹以南及花東有局部短暫陣雨。
▲氣象署表示,台灣未來一週天氣「高溫炎熱,會有午後局部雷陣雨」。(圖/中央氣象署cwa.gov.tw)
我是廣告 請繼續往下閱讀
「觀氣象看天氣」說明,劍魚颱風即將成為今年西北太平洋風王,強度很有機會達到中颱上限、甚至強颱,去年越南才經歷登陸當地歷史最強颱風「魔羯」的侵擾,許多基礎建設仍在復甦,現在又將面對受地形破壞較少的劍魚颱風,今天下半天登陸時強度很可能與摩羯相當,提醒務必嚴加戒備。
賈新興指出,目前南海至菲律賓東方海面,屬於環境不穩定的「季風低壓帶」,內部容易有熱帶系統發展,目前在菲律賓東方海面就有熱帶擾動,未來路徑會往西移動,通過呂宋島之後進入南海,熱帶擾動在南海會增強,週三至週四,有機會成為熱帶性低氣壓,甚至是「藍湖颱風」,不過目前看來,颱風生成的機率比較低一點。
賈新興提及,長期預報顯示,再下一個明顯的熱帶系統發展,會是9月4日至9月8日,由於太平洋高壓往北,菲律賓東方又會有更強的熱帶系統,且可能影響台灣天氣,這段時間需要先特別留意。
「觀氣象看天氣」表示,由於冷心低壓通過台灣,今明兩天,西半部的午後雷陣雨會變得更急、更旺盛,容易有短時強降雨、雷擊與強陣風,部分地區甚至有機會出現局部降下冰雹的狀況,與昨(24)日嘉南局部地區的情形類似。
賈新興提醒,今明兩天,午後苗栗以南、宜花東有局部短暫陣雨;週三,午後苗栗以南有局部短暫陣雨,宜花東、新竹以北也有零星短暫陣雨。週四至週五(8/29),南台東至鵝鑾鼻一帶有零星短暫雨,午後苗栗以南、宜花東有零星短暫陣雨。週六(8/30),南台東至恆春一帶有零星短暫雨,午後新竹以南及花東有局部短暫陣雨。