關鍵字 劍魚颱風

影/劍魚颱風橫掃東南亞!越南、泰國釀成重災 8萬公頃農田被毀

影/劍魚颱風橫掃東南亞!越南、泰國釀成重災 8萬公頃農田被毀

劍魚颱風橫掃東南亞,先在越南奪走七命後,又於27日清晨侵襲泰國北部與東北部,造成洪水、土石流等重大災害。觀光大城清邁與夜豐頌首當其衝,清邁一處山區村落遭...

影/死傷不斷!劍魚颱風肆虐越南 多處停電、屋頂遭掀翻

影/死傷不斷!劍魚颱風肆虐越南 多處停電、屋頂遭掀翻

越南中北部沿海25日遭到劍魚颱風(Typhoon Kajiki)直接侵襲,帶來強風與暴雨,官方證實至少造成一人死亡,另有八人受傷。根據越南國營媒體報導,河靜省(Ha Tin...

影/週四前持續洪患釀死傷!劍魚颱風直撲越南 能見度低於20公尺

影/週四前持續洪患釀死傷!劍魚颱風直撲越南 能見度低於20公尺

劍魚颱風(Typhoon Kajiki)25日下午3時直撲義安省(Nghe An)與河靜省(Ha Tinh)沿岸,颱風眼夾帶的強勁風勢掀翻高壓電桿,將屋頂水塔擊落地面,海岸飯店與餐...

藍湖颱風最快週四生成!預估路徑出爐 氣象署:這3天雨下最多

藍湖颱風最快週四生成!預估路徑出爐 氣象署:這3天雨下最多

氣象署表示,週二、週三(8/25至8/26)受到低壓帶偏東風影響,桃園以南都有午後雷陣雨,菲律賓東方有熱帶擾動,本週往西移動,週四、週五(8/27至8/28)進入南海...

午後變天「小心下冰雹」!大雷雨轟炸5縣市 新竹以南雨勢將擴大

午後變天「小心下冰雹」!大雷雨轟炸5縣市 新竹以南雨勢將擴大

氣象署今(25)日午後發布「大雷雨即時訊息」,由於午後對流旺盛,中南部務必慎防「劇烈降雨、雷擊、冰雹、溪水暴漲,坍方、落石、土石流,以及低能見度」等影響...

劍魚颱風沒來「還是下大雨」!冷心低壓通過台灣 午後暴雨區域曝

劍魚颱風沒來「還是下大雨」!冷心低壓通過台灣 午後暴雨區域曝

劍魚颱風路徑雖然對台灣並無影響,但各地天氣依舊會在午後出現明顯變化,天氣風險公司資深顧問吳聖宇特別提醒,今明兩天(8/25至8/26)新竹以南會有較明顯的午後...

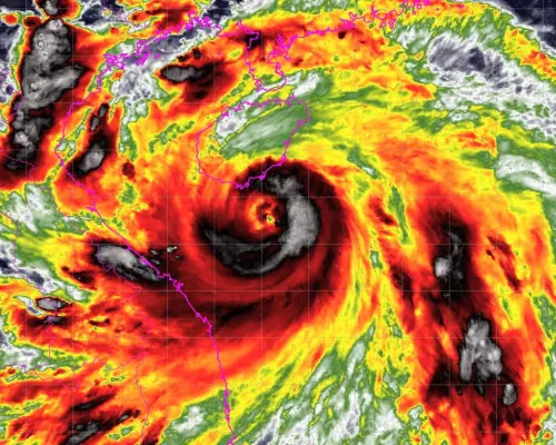
劍魚颱風還在增強!藍湖颱風最快週三生成 午後嚴防冰雹、強降雨

劍魚颱風還在增強!藍湖颱風最快週三生成 午後嚴防冰雹、強降雨

今年第13號颱風「劍魚」有機會挑戰強颱,路徑預估今(25)日下半天登陸越南,氣象專家賈新興表示,週三至週四(8/27至8/28)南海一帶,有熱帶系統發展,不排除下...

劍魚颱風升級中颱!新颱風「估最快週四發展」 吳德榮揭最新走向

劍魚颱風升級中颱!新颱風「估最快週四發展」 吳德榮揭最新走向

劍魚颱風增強變中颱!中央氣象署表示,今年第13號颱風「劍魚」已升級成中颱,目前向西北西進行,預計在今(25)日會登陸越南;氣象專家吳德榮在「洩天機教室」專...

一週天氣預報/劍魚挑戰強颱!午後雷雨不會停 下最多地區出爐 

一週天氣預報/劍魚挑戰強颱!午後雷雨不會停 下最多地區出爐 

氣象署表示,劍魚颱風目前在南海,今(25)日將登陸越南,登陸前強度不排除成為強颱,對台灣並無影響,台灣未來一週天氣「高溫炎熱,會有午後局部雷陣雨」,,台...

一週天氣/全台高溫悶熱!午後大雷雨越下越多 還有新颱風恐生成

一週天氣/全台高溫悶熱!午後大雷雨越下越多 還有新颱風恐生成

氣象署表示,台灣未來一週天氣「高溫炎熱,會有午後局部雷陣雨」。未來一週天氣變化不大,台灣各地紫外線指數偏強,桃園以北、中南部近山區高溫顯著,要特別注意...