買房整修是人生大事,但挑選施工團隊若不注意,恐怕會落入裝修蟑螂的陷阱!一名林姓屋主去年3月發現住家附近有住宅在裝修,觀察近1個月感覺不錯,於是委託自稱「O華實業有限公司」合夥人的郭姓包商進行老屋翻修,雙方談好工程費用17萬9500元,不料屋主付完16萬元工程款後,對方工程停擺、捲款神隱,甚至還以「公司營運困難」為由向屋主借款25萬元。事後不僅屋主求償無門,連帶施工師傅與建材行也出面指控遭欠款,成為連環受害案。
以為親眼所見有保障 沒想到裝潢爛尾還借錢
2025年3月,林姓屋主想整修家中廚房與浴廁,發現住家附近有一戶住家也在進行裝修工程,雖然林姓屋主不認識正在裝修的屋主,他還是特意觀察了近一個月。見該工班持續進出,認為「眼見為憑」較有保障,便和一名自稱「O華實業有限公司」合夥人的郭姓包商洽談。
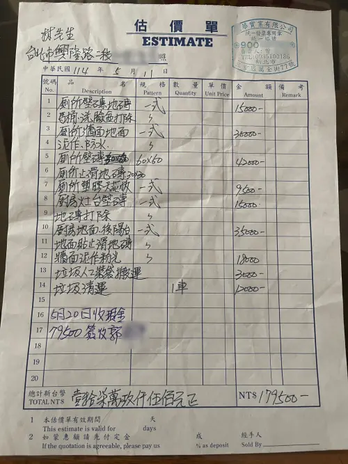
雙方於同年5月11日以估價單敲定總工程款為17萬9500元,約定7月中旬完工。林姓屋主也依約於5月與6月分別匯出8萬元,共16萬元工程款。然而,工程進行到7月初,郭姓包商突然聲稱與公司曾姓合夥人拆夥,面臨資金斷鏈危機,恐怕會影響林家工程進度,開口向屋主借貸25萬元度過難關。為了取信屋主,郭男甚至將林姓屋主到北市新生北路、新生南路一處工地查看,聲稱該處工地月底完工結案就能還款,並開立總計29萬元的本票作為擔保。
▲原本去年7月要完工,郭姓包商卻半途落跑,還跟林姓屋主借了25萬元。(圖/住保會提供) 不僅屋主受害 施工師傅、建材老闆也被欠款
心急想讓自家工程順利完工的林姓屋主不疑有他,於7月上旬陸續匯款25萬元至郭男指定的「O麗室內裝修公司」帳戶,事後查證該帳戶為郭男姊姊所有。未料到了7月底,郭姓包商全面神隱,工程徹底停擺。林姓屋主氣憤地找上O華實業的曾姓合夥人理論,曾男卻雙手一攤,表示郭男僅是「包工頭」,私自盜用公司發票章承攬工程,公司概不負責;但他同時又向屋主提議,可以「另付工程款」由他來接手後續工程,讓林姓屋主氣得報警提告詐欺。
案件曝光後,慘遭波及的受害者陸續浮出水面,包含施工的陳師傅、順O磁磚黃老闆、O祈木地板許老闆,皆指控郭男積欠工資與材料費。而林姓屋主事後拜訪當初觀察的那戶鄰居,這才得知郭男當時也曾以「兄長住院」為由向鄰居借錢,所幸該鄰居為免糾紛婉拒,才幸運逃過一劫。
▲受害的不只林姓屋主,磁磚、木地板等建材老闆也收不到貨款。(圖/住保會提供) 律師提醒簽訂正式裝修合約 留尾款驗收後才付
住保會公益律師房彥輝指出,估價單上蓋有發票章,僅代表廠商的報價意願,在法律上並不等同於正式裝修合約。屋主務必在施工前簽署正式合約,明訂各階段工期與按階段付款的機制,並保留1至2成的尾款於驗收後支付。另外,若客觀判斷郭男屬裝修公司之受僱人或合夥人,屋主依法可要求裝修公司負擔連帶賠償責任。若包商根本無心施工,僅為騙取大額款項後便不知去向,恐涉犯《刑法》詐欺罪,檢警可依法究辦。
住保會顧問吳翃毅提醒,坊間常見僅用一張估價單就開工,這類單據缺乏材料品牌、尺寸等詳細規格,極易衍生追加款項或跑路糾紛。此外,當原包商跑路,同公司其他人出面表示要收費承接後續工程,這往往是裝修蟑螂引人入坑的常見手段,消費者應提高警覺。住保會也建議,裝修金額動輒數十萬至上百萬,消費者可使用「住保履約」機制,將工程價金交由銀行信託保管,採專款專用,待階段驗收完成後再行撥款。如此一來,即便不幸遇到不良廠商,也能確保資金不被捲走,避免落得錢被拿走、房子爛尾,還得自掏腰包打官司的慘狀。
▲住保會提醒,估價單不是正式合約,裝潢時應簽訂正式合約,載明工程費用、每期應支付款項等。(圖/住保會提供)
我是廣告 請繼續往下閱讀
2025年3月,林姓屋主想整修家中廚房與浴廁,發現住家附近有一戶住家也在進行裝修工程,雖然林姓屋主不認識正在裝修的屋主,他還是特意觀察了近一個月。見該工班持續進出,認為「眼見為憑」較有保障,便和一名自稱「O華實業有限公司」合夥人的郭姓包商洽談。
雙方於同年5月11日以估價單敲定總工程款為17萬9500元,約定7月中旬完工。林姓屋主也依約於5月與6月分別匯出8萬元,共16萬元工程款。然而,工程進行到7月初,郭姓包商突然聲稱與公司曾姓合夥人拆夥,面臨資金斷鏈危機,恐怕會影響林家工程進度,開口向屋主借貸25萬元度過難關。為了取信屋主,郭男甚至將林姓屋主到北市新生北路、新生南路一處工地查看,聲稱該處工地月底完工結案就能還款,並開立總計29萬元的本票作為擔保。
心急想讓自家工程順利完工的林姓屋主不疑有他,於7月上旬陸續匯款25萬元至郭男指定的「O麗室內裝修公司」帳戶,事後查證該帳戶為郭男姊姊所有。未料到了7月底,郭姓包商全面神隱,工程徹底停擺。林姓屋主氣憤地找上O華實業的曾姓合夥人理論,曾男卻雙手一攤,表示郭男僅是「包工頭」,私自盜用公司發票章承攬工程,公司概不負責;但他同時又向屋主提議,可以「另付工程款」由他來接手後續工程,讓林姓屋主氣得報警提告詐欺。
案件曝光後,慘遭波及的受害者陸續浮出水面,包含施工的陳師傅、順O磁磚黃老闆、O祈木地板許老闆,皆指控郭男積欠工資與材料費。而林姓屋主事後拜訪當初觀察的那戶鄰居,這才得知郭男當時也曾以「兄長住院」為由向鄰居借錢,所幸該鄰居為免糾紛婉拒,才幸運逃過一劫。
住保會公益律師房彥輝指出,估價單上蓋有發票章,僅代表廠商的報價意願,在法律上並不等同於正式裝修合約。屋主務必在施工前簽署正式合約,明訂各階段工期與按階段付款的機制,並保留1至2成的尾款於驗收後支付。另外,若客觀判斷郭男屬裝修公司之受僱人或合夥人,屋主依法可要求裝修公司負擔連帶賠償責任。若包商根本無心施工,僅為騙取大額款項後便不知去向,恐涉犯《刑法》詐欺罪,檢警可依法究辦。
住保會顧問吳翃毅提醒,坊間常見僅用一張估價單就開工,這類單據缺乏材料品牌、尺寸等詳細規格,極易衍生追加款項或跑路糾紛。此外,當原包商跑路,同公司其他人出面表示要收費承接後續工程,這往往是裝修蟑螂引人入坑的常見手段,消費者應提高警覺。住保會也建議,裝修金額動輒數十萬至上百萬,消費者可使用「住保履約」機制,將工程價金交由銀行信託保管,採專款專用,待階段驗收完成後再行撥款。如此一來,即便不幸遇到不良廠商,也能確保資金不被捲走,避免落得錢被拿走、房子爛尾,還得自掏腰包打官司的慘狀。