關鍵字 樺加沙颱風

直播/樺加沙豪雨炸台灣!博羅依颱風又將生成 氣象署11:40說明

直播/樺加沙豪雨炸台灣!博羅依颱風又將生成 氣象署11:40說明

強烈颱風樺加沙(國際命名RAGASA)在今(23)日上午8時30分解除陸上颱風警報,預計在下午至傍晚會解除海上颱風警報,雨勢直至周三白天才會逐漸趨緩。日本氣象廳...

樺加沙颱風還在下雨!「博羅依颱風」估24小時內生成 預估路徑曝

樺加沙颱風還在下雨!「博羅依颱風」估24小時內生成 預估路徑曝

日本氣象廳最新資料表示,今(23)日有一個「熱帶性低氣壓」在菲律賓東方海面生成,未來24小時內,將增強為颱風,並被命名為「博羅依」(Bualoi,泰國提供,原意...

樺加沙颱風沒登陸是祖上積德!暴雨要再1天 今6縣市達停班課標準

樺加沙颱風沒登陸是祖上積德!暴雨要再1天 今6縣市達停班課標準

樺加沙颱風目前路徑持續西行,不過由於是強颱等級,肥大的外圍環流依舊持續影響台灣天氣,尤其花東地區暴雨都還要再下一天,到週三白天才會趨緩,即便颱風中心沒...

颱風走了雨卻來了!盧秀燕擔心樺加沙尾勁太強 一早上班決定這事

颱風走了雨卻來了!盧秀燕擔心樺加沙尾勁太強 一早上班決定這事

中央氣象署上午8時30分解除樺加沙颱風陸上警報,但台中市今天早上才開始下雨,市長盧秀燕表示,鑑於以往颱風離開後總帶來強烈的西南氣流,台中市在颱風前開設的3...

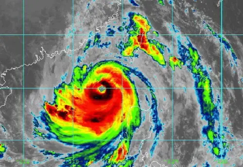
樺加沙颱風「驚現雙眼牆」恐又增強!外圍環流甩水 雨停時間點曝

樺加沙颱風「驚現雙眼牆」恐又增強!外圍環流甩水 雨停時間點曝

中央氣象署表示,樺加沙颱風已於今(23)日上午8時30分解除陸上颱風警報,預計將於晚上解除海上警報,但東部地區仍有局部大雨出現機會。氣象專家吳聖宇在臉書粉...

樺加沙颱風陸警解除!「回南風來了」雨炸東部 風雨趨緩時間出爐

樺加沙颱風陸警解除!「回南風來了」雨炸東部 風雨趨緩時間出爐

中央氣象署表示,樺加沙颱風陸警於今(23)日上午8時30分解除,預計將於晚上解除海警,但明日仍有出現局部大雨或豪雨機會,民眾須特別留意天氣狀況。氣象專家林...

樺加沙颱風動態整理!路徑、風雨、海警解除時間、停班課機率一覽

樺加沙颱風動態整理!路徑、風雨、海警解除時間、停班課機率一覽

樺加沙颱風動態整理!強颱樺加沙颱風加速持續往西前行,中央氣象署今(23)日表示,今天樺加沙颱風外圍環流依舊持續影響台灣天氣,雖然目前台灣本島脫離暴風圈,...

樺加沙颱風穩居今年風王!吳德榮:大雨連炸2天 新颱風可能生成

樺加沙颱風穩居今年風王!吳德榮:大雨連炸2天 新颱風可能生成

中央氣象署表示,樺加沙颱風逐漸向西北西持續移動,目前屏東地區已脫離颱風暴風圈影響,但對恆春半島等地區仍構成威脅。氣象專家吳德榮在專欄「洩天機教室」表示...

9/23停班停課別跑錯了!樺加沙暴雨宜蘭急宣布 停班課縣市一次看

9/23停班停課別跑錯了!樺加沙暴雨宜蘭急宣布 停班課縣市一次看

9/23停班停課不要看錯了!強颱樺加沙一路向西衝,肥大的外圍環流持續影響台灣天氣,中央氣象署表示,目前陸警區域為恆春半島,預計上午8時30分會解除警報,不過...

樺加沙颱風太狂!花蓮台東超大豪雨下到明晚 14縣市大雨豪雨特報

樺加沙颱風太狂!花蓮台東超大豪雨下到明晚 14縣市大雨豪雨特報

中央氣象署表示,受到第18號颱風樺加沙(國際命名 RAGASA )及其外圍環流影響,易有短延時強降雨,今(22)晚至明(23)日花蓮縣山區及臺東縣山區有局部大豪雨或...