樺加沙颱風目前路徑持續西行,不過由於是強颱等級,肥大的外圍環流依舊持續影響台灣天氣,尤其花東地區暴雨都還要再下一天,到週三白天才會趨緩,即便颱風中心沒有登陸台灣,今(23)日氣象署上午最新風雨預估,依舊有6縣市達到停班停課標準,都可看出樺加沙颱風的威力,連氣象粉專「台灣颱風論壇」都表示,樺加沙颱風沒登陸真的是祖上積德!
樺加沙颱風持續向西前行!北北基宜雨勢趨緩、花東暴雨再1天
氣象粉專「台灣颱風論壇」在社群表示,樺加沙颱風一路筆直的往西移動,週二上午已經脫離暴風圈,但今天持續受到颱風外圍環流影響,各地天氣不穩定,出門一定要帶雨具,午前台東、宜蘭、北部、南部沿海風勢都很強勁,加上下雨的效果,很有颱風天的感覺!
「台灣颱風論壇」提到,北北基宜風雨是今天白天會逐漸趨緩,但強陣風會持續到晚上,路上通勤一定要多加小心,至於花東風雨今天依舊明顯,趨緩時間需要等到週三白天,過幾天颱風減弱遠離之後,就要恭迎太平洋高氣壓回來安座了!
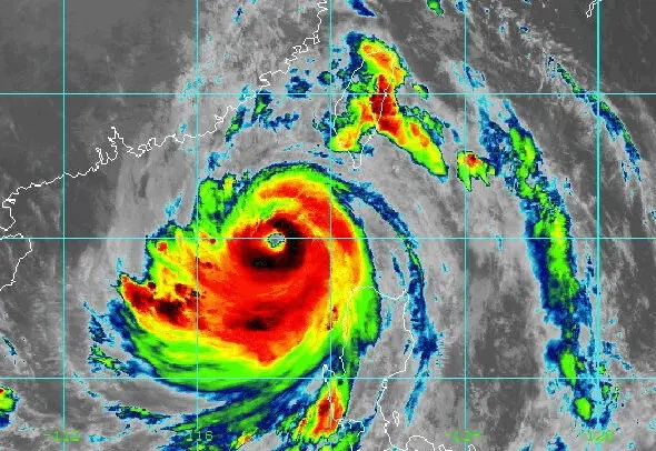
▲樺加沙颱風一路筆直的往西移動,週二上午已經脫離暴風圈,但今天持續受到颱風外圍環流影響,各地天氣不穩定,花東地區暴雨依舊要再持續一天,週三白天才會趨緩。(圖/台灣颱風論壇) 樺加沙颱風沒登陸是祖上積德!今6縣市仍達停班停課標準
「台灣颱風論壇」表示說,樺加沙颱風這次對台灣的影響就真的只是「外圍環流」而已,根本輪不到核心出招,年度封王後選就是有這種實力,還是那句「這傢伙沒撞進來真的是祖上積德」。
而根據中央氣象署今早9時最新預報來看,5縣市達到雨量預估停班停課標準,包括高雄市山區、屏東縣山區、花蓮縣、台東縣以及宜蘭縣山區;在風力預估方面,12時至18時的風力預測,僅新北市濱海鄉鎮(平均風6-7轉5-6、陣風 9-10轉8-9)有機會達停班停課標準,平均風力可達7級以上或陣風可達10級以上,總計6縣市今天達到停班停課標準。
▲中央氣象署今(23)日雨量預估,依舊有5縣市達到停班停課標準;風力部分則有新北市濱海鄉鎮達標。(圖/中央氣象署cwa.gov.tw) 而符合停班停課標準的縣市,包括今天台東縣、花蓮縣都是停止上班上課;高雄市山區5個行政區、屏東縣山區12鄉鎮也都停班停課;宜蘭縣則有8校緊急宣布停班停課;新北市則是正常上班上課,基本上應該不可能臨時宣布停班課,風力較大情況下,通勤的民眾要特別注意安全囉!
資料來源:台灣颱風論壇、中央氣象署
我是廣告 請繼續往下閱讀
氣象粉專「台灣颱風論壇」在社群表示,樺加沙颱風一路筆直的往西移動,週二上午已經脫離暴風圈,但今天持續受到颱風外圍環流影響,各地天氣不穩定,出門一定要帶雨具,午前台東、宜蘭、北部、南部沿海風勢都很強勁,加上下雨的效果,很有颱風天的感覺!
「台灣颱風論壇」提到,北北基宜風雨是今天白天會逐漸趨緩,但強陣風會持續到晚上,路上通勤一定要多加小心,至於花東風雨今天依舊明顯,趨緩時間需要等到週三白天,過幾天颱風減弱遠離之後,就要恭迎太平洋高氣壓回來安座了!
「台灣颱風論壇」表示說,樺加沙颱風這次對台灣的影響就真的只是「外圍環流」而已,根本輪不到核心出招,年度封王後選就是有這種實力,還是那句「這傢伙沒撞進來真的是祖上積德」。
而根據中央氣象署今早9時最新預報來看,5縣市達到雨量預估停班停課標準,包括高雄市山區、屏東縣山區、花蓮縣、台東縣以及宜蘭縣山區;在風力預估方面,12時至18時的風力預測,僅新北市濱海鄉鎮(平均風6-7轉5-6、陣風 9-10轉8-9)有機會達停班停課標準,平均風力可達7級以上或陣風可達10級以上,總計6縣市今天達到停班停課標準。
資料來源:台灣颱風論壇、中央氣象署
更多「樺加沙颱風來襲」相關新聞。