關鍵字 最新颱風動態

天氣預報/樺加沙颱風掰了!花東還有豪雨 博羅依颱風預估路徑曝

天氣預報/樺加沙颱風掰了!花東還有豪雨 博羅依颱風預估路徑曝

氣象署表示,今(24)日受樺加沙颱風外圍環流影響,花東及恆春半島有大雨或局部豪雨,全台午後仍有短暫雷陣雨;明(25)日水氣再增多,全台午後防大雨,另菲律賓...

樺加沙遠離!花東豪雨沒停 氣象署將啟動「大規模劇烈豪雨作業」

樺加沙遠離!花東豪雨沒停 氣象署將啟動「大規模劇烈豪雨作業」

中央氣象署表示,由於樺加沙颱風加速遠離台灣,今(23)日晚上8時30分,將會解除海上颱風警報,但由於樺加沙颱風環流廣大,颱風外圍環流會持續替花東地區帶來豪...

快訊/下班注意!14縣市「豪雨特報」 樺加沙颱風明天才遠離

快訊/下班注意!14縣市「豪雨特報」 樺加沙颱風明天才遠離

中央氣象署表示,樺加沙颱風和外圍環流影響,各地今(23)日易有短延時強降雨,目前持續發布「豪雨特報」;北部、宜蘭的降雨會在今天傍晚後率先趨緩,而花東、屏...

樺加沙颱風距離明明很遠!雙北「雨為什麼那麼大」?專家解釋原因

樺加沙颱風距離明明很遠!雙北「雨為什麼那麼大」?專家解釋原因

強烈颱風樺加沙結構完整、暴風圈龐大,氣象專家賈新興表示,雖然中心遠離雙北,但「外圍螺旋雨帶」仍帶來劇烈降雨;隨颱風往西北移動,大台北降雨傍晚起將趨緩,...

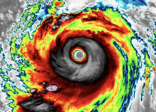
樺加沙颱風長太胖!3小時雨量炸破100毫米 輪到香港、澳門危險了

樺加沙颱風長太胖!3小時雨量炸破100毫米 輪到香港、澳門危險了

樺加沙颱風持續以強颱之姿替台灣帶來風雨,中央氣象署簡任技正伍婉華表示,台灣不少地區今(23)日出現「時雨量40毫米、3小時破百毫米」的可怕雨量,由於樺加沙...

明天「5縣市」停班停課達標!樺加沙豪雨狂轟 最新風雨預測出爐

明天「5縣市」停班停課達標!樺加沙豪雨狂轟 最新風雨預測出爐

樺加沙颱風今(23)日上午10時「最新風雨預報」資料顯示,明天(9/24)上午前,「新北、高雄、屏東、花蓮、台東」等5縣市,分別在風力和雨量的預測,達到停班停...

樺加沙颱風準備遠離!氣象署:海警估今晚解除 全台雨勢傍晚趨緩

樺加沙颱風準備遠離!氣象署:海警估今晚解除 全台雨勢傍晚趨緩

樺加沙颱風的「陸上警報」已在今(23)日上午8時30分解除,中央氣象署簡任技正伍婉華表示,海上警報預估今晚也會解除,樺加沙颱風今天會維持強颱,預估明(24)...

樺加沙颱風動態/海陸警全部解除!加速遠離台灣 豪雨轟炸到明天

樺加沙颱風動態/海陸警全部解除!加速遠離台灣 豪雨轟炸到明天

(20:40更新海上警報解除)中央氣象署表示,樺加沙颱風將加速遠離台灣,目前持續發布「豪雨特報」,今天至週三清晨(9/23至9/24)都是風雨最劇烈的時段;上午本...

明天停班停課「7縣市」達標!樺加沙颱風掃台 最新風雨預測出爐

明天停班停課「7縣市」達標!樺加沙颱風掃台 最新風雨預測出爐

樺加沙颱風暴風圈今(22)日上午接觸台灣陸地,颱風中心來到最靠近台灣的位置,停班停課的重要指標「風雨預測」,中央氣象署今天下午4時已正式更新,最新數據顯...

樺加沙颱風襲台24小時!2縣市準備「進入暴風圈」 豪雨轟到明天

樺加沙颱風襲台24小時!2縣市準備「進入暴風圈」 豪雨轟到明天

中央氣象署表示,樺加沙颱風暴風圈已進入恆春半島,隨著颱風往西,台東也將進入暴風圈內,入夜則是高雄也會進入,今晚至週二(9/22至9/23)樺加沙颱風的風雨逐步...