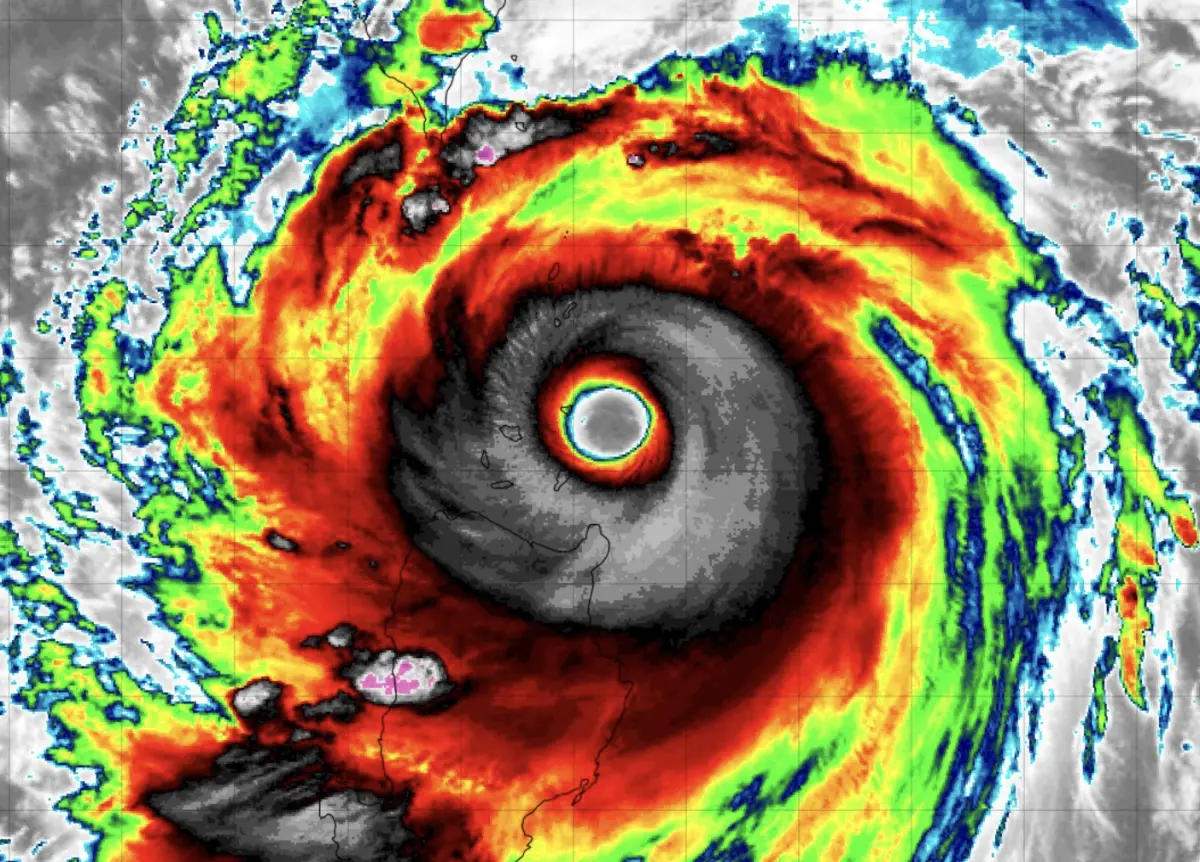
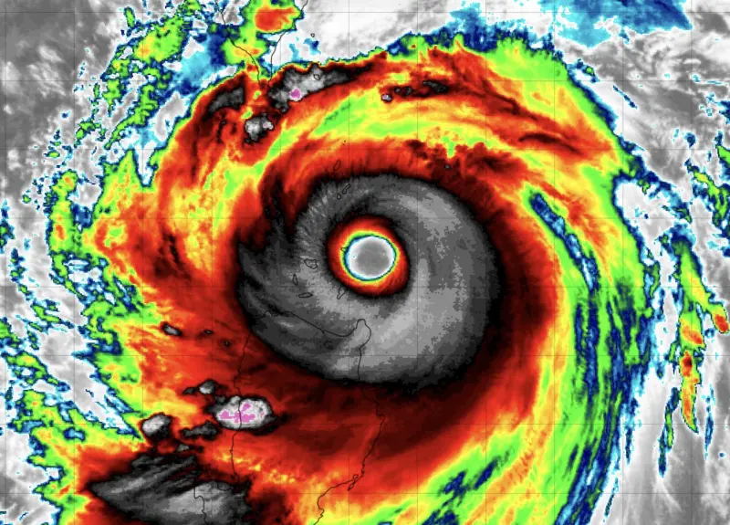
樺加沙颱風暴風圈今(22)日上午接觸台灣陸地,颱風中心來到最靠近台灣的位置,停班停課的重要指標「風雨預測」,中央氣象署今天下午4時已正式更新,最新數據顯示,明天週二(9/23)「花蓮山區、台東山區、高雄山區、屏東山區」等4縣市,預估雨量達停班課標準;而「新北、屏東、台東、連江、金門」等5縣市,則是「風力」達停班課標準。
據氣象署最新風力預報,明天清晨6時至上午12時,風力預測「新北濱海鄉鎮、屏東恆春、台東蘭嶼綠島、連江、金門」平均風力達6至7級、陣風達9至10級;共計5縣市達停班課標準。
▲樺加沙颱風影響,「新北、屏東恆春、台東蘭嶼綠島、連江、金門」平均風力達6至7級、陣風達9至10級,達停班課標準。(圖/中央氣象署cwa.gov.tw) 雨量預測上,未來24小時,「台東、花蓮」的山區,有400至600毫米,「高雄、屏東」的山區有300至490毫米,達到停班停課標準;綜合雨量和風力預測,「新北、屏東、連江、金門、台東、花蓮、高雄」等7個縣市達到停班停課標準,不過是否停班停課,實際狀況仍由地方政府判定。
此外,颱風影響期間(9月21日00時至9月23日24時),總雨量預估方面,以花蓮山區、台東山區的500至800毫米最多,其次是高雄山區、屏東山區、宜蘭山區的400至600毫米;台東平地、花蓮平地也有400至600毫米。
氣象署提及,宜蘭平地300至500毫米、新北平地250至400毫米、基隆平地200至300毫米,台南平地、高雄平地80至200毫米、嘉義縣市50至100毫米,新竹至雲林雨量最少,都小於80毫米。
▲樺加沙颱風影響,明天週二(9/23)「花蓮山區、台東山區、高雄山區、屏東山區」預估雨量達停班課標準。(圖/中央氣象署cwa.gov.tw) 🟡颱風假、停班停課標準是什麼?
據《天然災害停止上班及上課作業辦法規定》,氣象預報颱風暴風半徑4小時內可能經過之地區,其「平均風力可達7級以上」或「陣風可達10級以上」時,或未來24小時累積雨量預測達「山區200毫米及平地350毫米(各縣市標準不一)」,且已致災或有致災之虞時,達到停班停課標準。
▲颱風或豪雨影響期間,各縣市針對雨量的停班停課標準。(圖/天然災害停止上班及上課作業辦法)
我是廣告 請繼續往下閱讀
此外,颱風影響期間(9月21日00時至9月23日24時),總雨量預估方面,以花蓮山區、台東山區的500至800毫米最多,其次是高雄山區、屏東山區、宜蘭山區的400至600毫米;台東平地、花蓮平地也有400至600毫米。
氣象署提及,宜蘭平地300至500毫米、新北平地250至400毫米、基隆平地200至300毫米,台南平地、高雄平地80至200毫米、嘉義縣市50至100毫米,新竹至雲林雨量最少,都小於80毫米。
據《天然災害停止上班及上課作業辦法規定》,氣象預報颱風暴風半徑4小時內可能經過之地區,其「平均風力可達7級以上」或「陣風可達10級以上」時,或未來24小時累積雨量預測達「山區200毫米及平地350毫米(各縣市標準不一)」,且已致災或有致災之虞時,達到停班停課標準。
更多「樺加沙颱風來襲」相關新聞。