關鍵字 米塔颱風

影/米塔颱風登陸中國廣東!沿海強風暴雨 香港掛3號風球

影/米塔颱風登陸中國廣東!沿海強風暴雨 香港掛3號風球

輕度颱風「米塔」昨日生成後,趨向中國東南沿海前進,今(19)日下午接近三點登陸廣東汕尾,為當地沿海帶來風雨。根據中國中央氣象台公布的資料顯示,米塔颱風在...

樺加沙颱風恐升強颱!氣象署:難逃強風豪雨 「侵台時間軸」出爐

樺加沙颱風恐升強颱!氣象署:難逃強風豪雨 「侵台時間軸」出爐

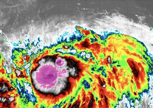
目前西北太平洋有3個颱風發展中,中央氣象署科長林伯東表示,「樺加沙颱風」對台灣威脅最大,正朝巴士海峽前進,強度可達中颱上限甚至挑戰強颱,暴風半徑恐達280...

樺加沙颱風路徑很危險!南台灣暴風圈侵襲率破50% 威力上看強颱

樺加沙颱風路徑很危險!南台灣暴風圈侵襲率破50% 威力上看強颱

樺加沙颱風將在下週一、下週二(9/23至9/25)通過台灣南方的巴士海峽,且強度至少中颱、上看強颱,目前南台灣、台東等縣市的「暴風圈侵襲率」已突破50%,天氣風...

樺加沙颱風估「週日海警、下週一陸警」!高速擦撞南部 豪雨狂襲

樺加沙颱風估「週日海警、下週一陸警」!高速擦撞南部 豪雨狂襲

樺加沙颱風已於昨(18)日晚間生成,氣象專家賈新興表示,樺加沙颱風路徑將往巴士海峽移動,預估週日晚間(9/21)發布海上警報、下週一(9/22)清晨發布陸警,並...

颱風動態整理!米塔、樺加沙、浣熊「最新路徑、強度、影響」一覽

颱風動態整理!米塔、樺加沙、浣熊「最新路徑、強度、影響」一覽

最新颱風動態整理,目前西北太平洋有3個颱風,中央氣象署表示,米塔颱風今(19)日外圍環流影響台灣天氣,在20日之後會逐漸遠離,下週則是樺加沙颱風接力持續靠...

樺加沙颱風強又大!估直逼強颱「路徑靠近台灣」 專家:會有災情

樺加沙颱風強又大!估直逼強颱「路徑靠近台灣」 專家:會有災情

中央氣象署表示,米塔、樺加沙、浣熊颱風在昨(18)日晚間生成,目前在太平洋上同時有三颱共舞,其中重頭戲放在今年第18號颱風「樺加沙」,未來將朝西北方向移動...

港澳警戒米塔颱風!將改掛3號風球、防狂風驟雨 部分學校停課

港澳警戒米塔颱風!將改掛3號風球、防狂風驟雨 部分學校停課

今年第17號颱風米塔(MITAG),目前持續朝西北方向,以時速約15公里的速度移動,預計將在廣東沿海地區登陸,香港、澳門也在影響範圍之列。香港天文台預計將在今...

浣熊颱風也生成了!和「米塔、樺加沙」三颱共舞 路徑影響一次看

浣熊颱風也生成了!和「米塔、樺加沙」三颱共舞 路徑影響一次看

西北太平洋「三颱共舞」的奇景再次出現,今(18)日下午米塔颱風生成後,今天晚上,颱風「樺加沙、浣熊」也幾乎同時生成,中央氣象署表示,米塔颱風明(19)日還...

樺加沙颱風生成!路徑對台威脅大 「威力上看強颱」恐發海陸警

樺加沙颱風生成!路徑對台威脅大 「威力上看強颱」恐發海陸警

日本氣象廳最新資料表示,樺加沙颱風今(18)日晚上生成,和米塔颱風「雙颱共舞」,樺加沙颱風路徑將往西靠近台灣,中央氣象署最快週末會發布海上警報,下週一至...

雙颱接連掃過!專家:台灣「多雨日子」要來了 北部也有強風陣雨

雙颱接連掃過!專家:台灣「多雨日子」要來了 北部也有強風陣雨

日本氣象廳今(18)日下午2時宣布米塔颱風生成,路徑將往中國、香港一帶直奔,其外圍環流仍讓東南部、恆春半島有豪大雨出現。然而,台灣也將迎來「多雨日子」,...