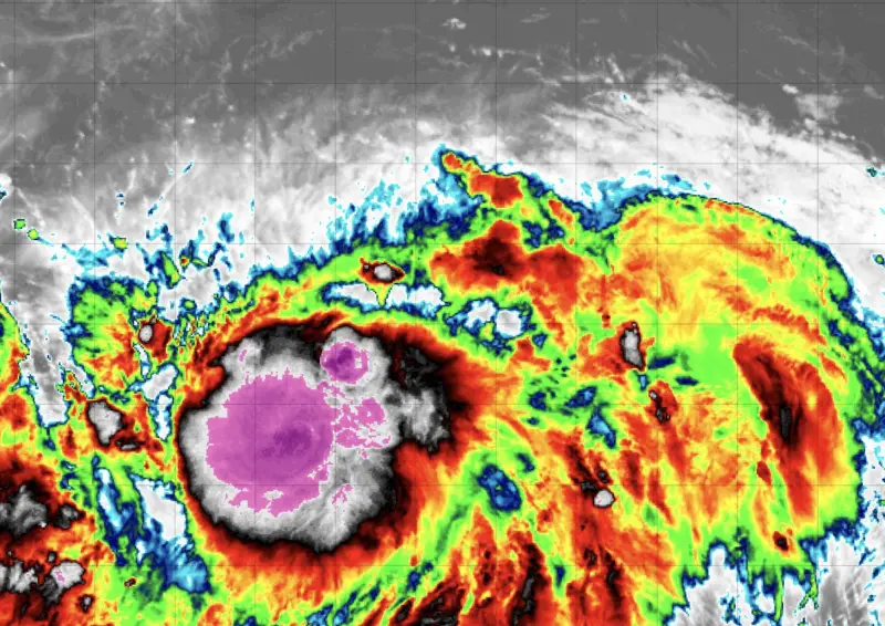
樺加沙颱風將在下週一、下週二(9/23至9/25)通過台灣南方的巴士海峽,且強度至少中颱、上看強颱,目前南台灣、台東等縣市的「暴風圈侵襲率」已突破50%,天氣風險公司分析師歐宗學表示,下週一晚上至下週二白天是樺加沙颱風最接近台灣的時段,東半部、南部山區的「下雨時間長、雨勢強。」
據氣象署最新「120小時颱風暴風侵襲機率」資料,全台各縣市都可能受樺加沙颱風暴風圈影響,恆春71%、蘭嶼69%、高雄61%、屏東59%、綠島56%、台東55%、台南54%、嘉義和澎湖也有44%。
▲樺加沙颱風最新「120小時颱風暴風侵襲機率」,南台灣、台東等縣市已突破50%。(圖/中央氣象署cwa.gov.tw) 樺加沙挑戰強颱 下週一晚上、下週二白天風雨最大
天氣風險公司分析師歐宗學指出,樺加沙颱風在週日會逐漸往台灣東南方海面靠近,且已經發展為中度颱風,不排除成為強颱,東北部、東半部至恆春半島,會開始有局部短暫陣雨;西半部週日上午晴到多雲,不過午後還是有雷陣雨,山區及嘉義以南地區容易受到影響。
下週一樺加沙颱風進入巴士海峽,外圍環流開始影響,北部、東半部、恆春半島風雨漸增,西半部雖然降雨相對偏少,但沿海也會有強風;「下週一晚上至下週二白天」是樺加沙颱風最接近台灣的時段,如果路徑較偏北,南台灣受影響的幅度更明顯,路徑偏南,則風雨程度減低。
▲樺加沙颱風在週日會逐漸往台灣東南方海面靠近,如果路徑較偏北,南台灣受影響的幅度更明顯。(圖/中央氣象署cwa.gov.tw) 樺加沙颱風肆虐東半部、南部山區 下週二晚上遠離
歐宗學提醒,樺加沙颱風會讓東半部、南部山區的「下雨時間長、雨勢強」;下週二晚上,樺加沙颱風開始遠離,下週三各地風雨趨緩,但東半部依然會有持續性陣雨,西半部地區也會有局部短暫陣雨機會、午後雷陣雨,東北角、南部、恆春半島沿海仍有瞬間強風,以及長浪,建議暫緩前往海邊活動。
歐宗學說明,在樺加沙颱風影響之前,今天台灣處在米塔颱風外圍低壓帶環流中,環境水氣多且較不穩定,恆春半島全天有局部短暫陣雨,其它地區多雲為主,午後各地山區、西半部都有熱對流雷陣雨機會,且可能有局部大雷雨影響,雨勢持續到入夜才會逐漸停止。
資料來源:中央氣象署、天氣風險 WeatherRisk 臉書
我是廣告 請繼續往下閱讀
天氣風險公司分析師歐宗學指出,樺加沙颱風在週日會逐漸往台灣東南方海面靠近,且已經發展為中度颱風,不排除成為強颱,東北部、東半部至恆春半島,會開始有局部短暫陣雨;西半部週日上午晴到多雲,不過午後還是有雷陣雨,山區及嘉義以南地區容易受到影響。
下週一樺加沙颱風進入巴士海峽,外圍環流開始影響,北部、東半部、恆春半島風雨漸增,西半部雖然降雨相對偏少,但沿海也會有強風;「下週一晚上至下週二白天」是樺加沙颱風最接近台灣的時段,如果路徑較偏北,南台灣受影響的幅度更明顯,路徑偏南,則風雨程度減低。
歐宗學提醒,樺加沙颱風會讓東半部、南部山區的「下雨時間長、雨勢強」;下週二晚上,樺加沙颱風開始遠離,下週三各地風雨趨緩,但東半部依然會有持續性陣雨,西半部地區也會有局部短暫陣雨機會、午後雷陣雨,東北角、南部、恆春半島沿海仍有瞬間強風,以及長浪,建議暫緩前往海邊活動。
歐宗學說明,在樺加沙颱風影響之前,今天台灣處在米塔颱風外圍低壓帶環流中,環境水氣多且較不穩定,恆春半島全天有局部短暫陣雨,其它地區多雲為主,午後各地山區、西半部都有熱對流雷陣雨機會,且可能有局部大雷雨影響,雨勢持續到入夜才會逐漸停止。
資料來源:中央氣象署、天氣風險 WeatherRisk 臉書
更多「樺加沙颱風來襲」相關新聞。