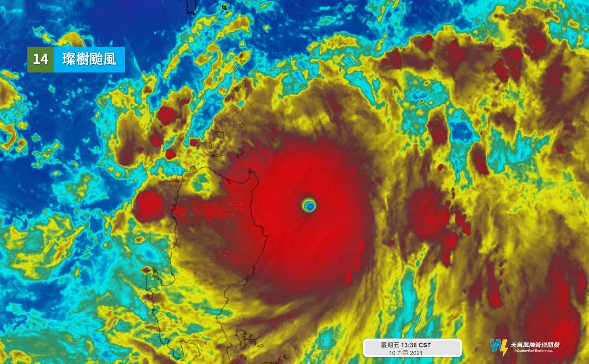
中央氣象局在今(10)日清晨發布強颱璨樹海上颱風警報,稍早表示,其強度再增強且暴風半徑擴大,預計在傍晚17時30分發布陸上颱風警報。氣象專家彭啟明則示警,璨樹颱風近岸增強,不論從衛星雲圖、風場分析上,型態都非常完整,是個強度達顛峰的超強颱風,籲請民眾務必提高警覺、做好防颱工作。
氣象局最新颱風資訊,強颱璨樹下午14時的中心位置在北緯 17.8 度,東經 123.5 度,即在鵝鑾鼻的南南東方約 530 公里之海面上,以每小時17轉13公里速度,向北北西進行。中心氣壓915百帕,近中心最大風速每秒 58 公尺(約每小時 209 公里),相當於 17 級風,七級風暴風半徑 200 公里,十級風暴風半徑 70 公里。
有關颱風登陸與否,氣象局稱仍待觀察,在晚間颱風外圍環流就會開始影響到台灣本島,東半部降雨不斷,尤其週末的風雨會更加強大,東半部、基隆北海岸、恆春半島可能有局部大雨或豪雨等級的雨勢。
氣象專家彭啟明也在臉書上示警,表示目前位在呂宋島東側外海的璨樹颱風,不論從衛星雲圖、風場分析上,型態都非常完整。清晰的風眼與渾厚的對流雲系絲毫沒有拖泥帶水,這是一顆非常強的颱風。
彭啟明說明,強颱璨樹的核心環流也即將碰觸到呂宋島東部的內陸高山。現在可能是璨樹颱風強度最巔峰的時期,而在颱風的眼牆周圍,經閃電偵測網也看到許多密集的閃電訊號,代表這是非常強的颱風才有的特徵。
我是廣告 請繼續往下閱讀
有關颱風登陸與否,氣象局稱仍待觀察,在晚間颱風外圍環流就會開始影響到台灣本島,東半部降雨不斷,尤其週末的風雨會更加強大,東半部、基隆北海岸、恆春半島可能有局部大雨或豪雨等級的雨勢。
氣象專家彭啟明也在臉書上示警,表示目前位在呂宋島東側外海的璨樹颱風,不論從衛星雲圖、風場分析上,型態都非常完整。清晰的風眼與渾厚的對流雲系絲毫沒有拖泥帶水,這是一顆非常強的颱風。
彭啟明說明,強颱璨樹的核心環流也即將碰觸到呂宋島東部的內陸高山。現在可能是璨樹颱風強度最巔峰的時期,而在颱風的眼牆周圍,經閃電偵測網也看到許多密集的閃電訊號,代表這是非常強的颱風才有的特徵。