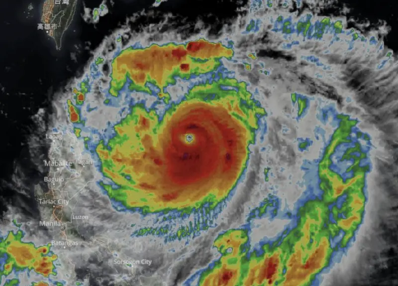
超級颱風樺加沙(Typhoon Ragasa)持續增強,風力快速攀升,菲律賓、台灣及香港當局均已啟動防災措施,並敦促沿海及低窪地區居民提前疏散。氣象專家警告,此颱風可能帶來狂風、豪雨及嚴重海水倒灌。
菲律賓氣象局(Philippine Atmospheric, Geophysical and Astronomical Services Administration, PAGASA)指出,截至今(22)日上午11點,颱風中心風速已達每小時185公里,並預計在週二(23日)中心最大持續風速可達每小時220公里。颱風將沿西向移動,巴布延群島(Babuyan Islands)可能首當其衝,北部的呂宋島(Luzon)亦面臨水災與土石流風險。
台灣花蓮縣已安排約300名居民撤離至安全避難點,縣政府表示將依颱風動態隨時調整疏散計畫。中央氣象局(Central Weather Bureau, CWB)預計今晚發布陸上颱風警報,提醒沿海及山區居民留意強風、豪雨及土石流威脅,並做好防災準備。
香港天文台(Hong Kong Observatory, HKO)警告,颱風將在下週中抵達香港,可能引發極高海面及暴風雨。天文台預測颱風將於週三凌晨2時至上午8時最接近香港,屆時將達到超級颱風等級,相當於颶風強度。預計受颱風影響,沿岸海面將出現驚人巨浪,海水高度可能與2017年的海棠(Hato)颱風及2018年的山竹(Mangkhut)颱風侵襲時相當。
菲律賓內政部長魯本·雷耶斯(Ruben Reyes)呼籲地方政府立即疏散低窪及山坡地區居民,並確保應急隊伍待命,避免災情擴大。氣象專家提醒,颱風登陸前仍有增強可能,民眾需密切關注氣象警報及官方指示。
各地政府同時建議居民準備生活必需品,避免非必要外出,確保居家安全。專家指出,颱風可能造成交通中斷、停電及洪災,居民應提前規劃撤離路線及避難場所,並密切關注官方發布的最新災害訊息。
我是廣告 請繼續往下閱讀
台灣花蓮縣已安排約300名居民撤離至安全避難點,縣政府表示將依颱風動態隨時調整疏散計畫。中央氣象局(Central Weather Bureau, CWB)預計今晚發布陸上颱風警報,提醒沿海及山區居民留意強風、豪雨及土石流威脅,並做好防災準備。
菲律賓內政部長魯本·雷耶斯(Ruben Reyes)呼籲地方政府立即疏散低窪及山坡地區居民,並確保應急隊伍待命,避免災情擴大。氣象專家提醒,颱風登陸前仍有增強可能,民眾需密切關注氣象警報及官方指示。
各地政府同時建議居民準備生活必需品,避免非必要外出,確保居家安全。專家指出,颱風可能造成交通中斷、停電及洪災,居民應提前規劃撤離路線及避難場所,並密切關注官方發布的最新災害訊息。
更多「樺加沙颱風來襲」相關新聞。