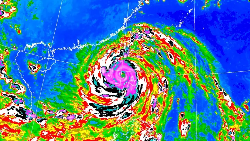
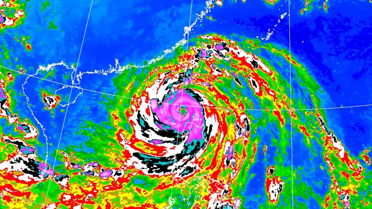
颱風樺加沙與外圍環流影響,今(22)晚至明(23)日花蓮縣山區及臺東縣山區有局部大豪雨或超大豪雨,台鐵宣布,明日12時前南迴線、臺東線停駛,其餘路線正常行駛。
強烈颱風樺加沙(國際命名 RAGASA )影響台灣的關鍵時段到來,中央氣象署表示,今晚到明天(22日至23日)花東山區將出現超大豪雨,沿海地區也會有8至10級以上強陣風。
台鐵說明,因應樺加沙颱風陸上警報發布,依據氣象署最新氣象資訊研判,明(23)日12時前列車行駛概況原則如下:
一、 中午12時前南迴線各級列車停駛:
(一)新左營往臺東:3001次停駛、411次停駛、3305次停駛、3003次停駛、3051次停駛、301次停駛、415次停駛、3053次停駛、3005次截短行駛至潮州、371次截短行駛至潮州、3057次停駛、161次截短行駛至潮州、423次停駛、3061次。
(二)潮州往臺東:727次停駛。
(三)臺東往新左營:162次停駛(潮州=南港正常行駛)、3006次停駛、304次停駛、306次停駛、372次停駛(潮州=台中正常行駛)、3018次停駛。
(四)藍皮列車臺東=枋寮5898次、5899次停駛。
二、中午12時前臺東線各級列車停駛:
(一)臺東往花蓮:401次停駛(花蓮=樹林正常行駛)、4503次停駛、4507停駛、407次停駛(花蓮=樹林正常行駛)、4517次停駛、4519次停駛、411次停駛(花蓮=樹林正常行駛)、301次停駛、415次停駛(花蓮=樹林正常行駛)、4521次停駛、417次停駛(花蓮=樹林正常行駛)、653次停駛(花蓮=彰化正常行駛)、419次停駛(花蓮=樹林正常行駛)、4513次停駛(花蓮=和平正常行駛)、4015次停駛。
(二)花蓮往臺東:4504次停駛、4508次停駛、4512次停駛、4514次停駛、306次停駛、602次停駛、4516次截短行駛至花蓮、402次截短行駛至花蓮、406次截短行駛至花蓮、408次截短行駛至花蓮、410次截短行駛至花蓮、472次截短行駛至花蓮。
(三) 207次壽豐=花蓮間停駛,花蓮=樹林間正常行駛。
三、上述停駛路線及班次,本公司將視最新天氣變化及營運前路線巡檢情形,機動調整列車行駛計畫。
台鐵表示,自發布海上颱風警報之日起至解除海上颱風警報之日止,購買上述期間內各級列車車票之旅客,可自乘車日起一年內,持未經使用之車票至各車站辦理退票,免收手續費。
我是廣告 請繼續往下閱讀
台鐵說明,因應樺加沙颱風陸上警報發布,依據氣象署最新氣象資訊研判,明(23)日12時前列車行駛概況原則如下:
一、 中午12時前南迴線各級列車停駛:
(一)新左營往臺東:3001次停駛、411次停駛、3305次停駛、3003次停駛、3051次停駛、301次停駛、415次停駛、3053次停駛、3005次截短行駛至潮州、371次截短行駛至潮州、3057次停駛、161次截短行駛至潮州、423次停駛、3061次。
(二)潮州往臺東:727次停駛。
(三)臺東往新左營:162次停駛(潮州=南港正常行駛)、3006次停駛、304次停駛、306次停駛、372次停駛(潮州=台中正常行駛)、3018次停駛。
(四)藍皮列車臺東=枋寮5898次、5899次停駛。
二、中午12時前臺東線各級列車停駛:
(一)臺東往花蓮:401次停駛(花蓮=樹林正常行駛)、4503次停駛、4507停駛、407次停駛(花蓮=樹林正常行駛)、4517次停駛、4519次停駛、411次停駛(花蓮=樹林正常行駛)、301次停駛、415次停駛(花蓮=樹林正常行駛)、4521次停駛、417次停駛(花蓮=樹林正常行駛)、653次停駛(花蓮=彰化正常行駛)、419次停駛(花蓮=樹林正常行駛)、4513次停駛(花蓮=和平正常行駛)、4015次停駛。
(二)花蓮往臺東:4504次停駛、4508次停駛、4512次停駛、4514次停駛、306次停駛、602次停駛、4516次截短行駛至花蓮、402次截短行駛至花蓮、406次截短行駛至花蓮、408次截短行駛至花蓮、410次截短行駛至花蓮、472次截短行駛至花蓮。
(三) 207次壽豐=花蓮間停駛,花蓮=樹林間正常行駛。
三、上述停駛路線及班次,本公司將視最新天氣變化及營運前路線巡檢情形,機動調整列車行駛計畫。
台鐵表示,自發布海上颱風警報之日起至解除海上颱風警報之日止,購買上述期間內各級列車車票之旅客,可自乘車日起一年內,持未經使用之車票至各車站辦理退票,免收手續費。
更多「樺加沙颱風來襲」相關新聞。