關鍵字 博羅依

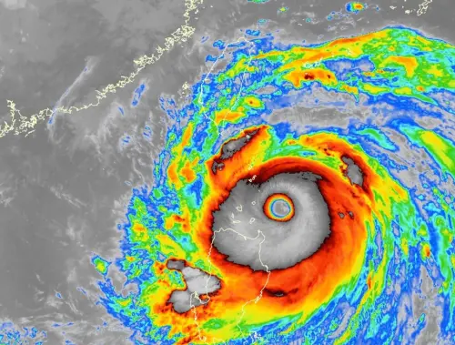
影/最強風暴登陸越南!博羅依颱風釀8死17失蹤 掀8公尺巨浪

影/最強風暴登陸越南!博羅依颱風釀8死17失蹤 掀8公尺巨浪

颱風博羅依(Bualoi)29日侵襲越南海岸,至少造成8死17失蹤,強風豪雨導致房屋損壞、電力中斷、道路被淹沒,當地政府提前撤離2.85萬人,數百航班因機場關閉延誤...

颱風「博羅依」逼近越南 關閉4機場、疏散逾1.5萬居民防災

颱風「博羅依」逼近越南 關閉4機場、疏散逾1.5萬居民防災

越南正面臨颱風「博羅依」(Bualoi)威脅,官方宣布關閉沿海4座機場,並大規模疏散超過1萬5000名居民,以防強颱帶來的災害。越南國家氣象局預測,「博羅依」將於...

雙颱連擊重創菲律賓!「博羅依」登陸帶來狂風豪雨 教堂幾乎全毀

雙颱連擊重創菲律賓!「博羅依」登陸帶來狂風豪雨 教堂幾乎全毀

菲律賓一週內連續遭到兩個強颱重創,先是樺加沙(Ragasa),如今又是博羅依(Bualoi)來襲,猛烈風雨奪走至少10條人命,迫使超過40萬人撤離家園,道路斷裂、教堂...

颱風接連來襲!樺加沙剛走換博羅依掃過菲律賓 釀11死40萬人撤離

颱風接連來襲!樺加沙剛走換博羅依掃過菲律賓 釀11死40萬人撤離

颱風「樺加沙」前腳剛走,「博羅依」颱風接力掃過菲律賓,重創菲律賓中部島嶼,截至今(27)日已造成11人死亡14人失蹤。根據《法新社》報導,博羅依颱風週五襲擊...

會侵台嗎?颱風 「博羅依」將成形 朝菲律賓、越南逼近中

會侵台嗎?颱風 「博羅依」將成形 朝菲律賓、越南逼近中

強颱「樺加沙」在23日上午8點半解除陸上警報,氣象署預估最快今晚可望解除海上警報,並於24日清晨前後減弱為中度颱風。不過,專家提醒,菲律賓東方海域已出現一...

今飆38度一整週熱爆!3颱「樺加沙、浣熊、博羅依」最新動態曝光

今飆38度一整週熱爆!3颱「樺加沙、浣熊、博羅依」最新動態曝光

中央氣象署表示,今(25)日受到太平洋高壓影響,台灣各地保持晴朗好天氣,但仍需慎防午後短暫雷雨。氣象專家吳德榮在專欄「洩天機教室」表示,今日北台灣最高溫...

樺加沙颱風「好險沒登陸」!襲台4天總回顧 花蓮總雨量破千毫米

樺加沙颱風「好險沒登陸」!襲台4天總回顧 花蓮總雨量破千毫米

中央氣象署表示,樺加沙颱風9月18日在關島西方生成,後續增強為強烈颱風、暴風半徑擴至320公里,樺加沙颱風9月22日開始侵襲台灣,花東、屏東降下超大豪雨,並導...

快訊/樺加沙颱風餘威!6縣市「豪大雨特報」 北台灣防午後雷雨

快訊/樺加沙颱風餘威!6縣市「豪大雨特報」 北台灣防午後雷雨

中央氣象署發布最新「豪雨特報」表示,受到樺加沙颱風外圍環流影響,各地易有短延時強降雨,今(24)日臺東縣地區、花蓮縣山區、屏東縣山區及恆春半島仍有局部大...

博羅依颱風各國路徑一致了!花東豪雨明天才停 10月還有颱風生成

博羅依颱風各國路徑一致了!花東豪雨明天才停 10月還有颱風生成

博羅依颱風今(24)日凌晨生成,與「樺加沙、浣熊」再度共組「三颱並立」的情況,博羅依颱風路徑已經確定不會對台灣帶來影響;不過天氣風險公司資深顧問吳聖宇表...