中央氣象署表示,樺加沙颱風9月18日在關島西方生成,後續增強為強烈颱風、暴風半徑擴至320公里,樺加沙颱風9月22日開始侵襲台灣,花東、屏東降下超大豪雨,並導致花蓮馬太鞍溪堰塞湖溢流,釀14死34傷、124人失聯重大災情,雖颱風中心未登陸,廣大環流仍持續帶來災害,直至9月24日才完全解除警報,被稱為「2025風王」實至名歸。
樺加沙生成後瘋狂發育 暴風半徑胖到320公里
氣象署說明,樺加沙颱風9月18日晚間在關島西方海面形成,起初路徑就預估往西移動,由於途中經過的海水溫度高、垂直風切小,9月20日上午增強為中度颱風,此時距離台灣還有1300多公里,經過將近1天的發展,樺加沙颱風9月21日上午增強為「強烈颱風」,暴風半徑來到300公里。
不斷提升的強度加上廣闊的暴風圈,樺加沙颱風此時成為全球氣象關注焦點「2025風王」的名號不逕而走,氣象署9月21日上午立刻發布「海上颱風警報」,同日傍晚發布「陸上颱風警報」,樺加沙也在這段過程中達到強度最顛峰,近中心風速達每秒58公尺,暴風半徑320公里。
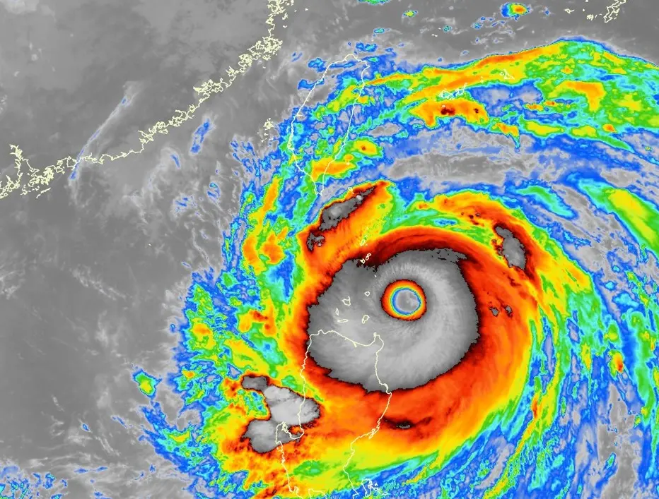
▲樺加沙颱風沒有登陸台灣,但完整的結構和廣大的環流,造成台灣東部、南部豪雨不斷。(圖/中央氣象署cwa.gov.tw) 超大豪雨肆虐花東 堰塞湖溢流釀災情
9月22日北部、花東、屏東開始出現明顯雨勢,越晚風雨越大,樺加沙颱風以「巔峰姿態」侵台,暴風圈9月22日上午11時接觸恆春半島陸地,整體雨勢在9月23日達到最高峰,雖然暴風圈離開陸地,樺加沙跑到台灣西南方,但外圍雲系、外圍環流不斷替花東山區、屏東山區帶來「超大豪雨」。
9月23日下午,樺加沙颱風衍生最嚴重的災情,花蓮馬太鞍溪上游的堰塞湖,因水位過高導致「溢流」,洪水、大量土石、泥沙順流而下,馬太鞍溪橋攔腰折斷,花蓮縣光復鄉大面積淹水,宛如末日場景,最終導致14死、34傷、124人失聯。
花蓮雨量破千毫米 東沙島現12米巨浪
樺加沙颱風中心並未直接登陸,路徑就是從台灣南方掃過,氣象署其實在9月23日上午就「解除陸上颱風警報」,但無奈樺加沙結構太完整、環流太廣,才導致花東降雨不斷,氣象署甚至在9月23日晚間「解除海上颱風警報」後,同步啟動「豪雨加強作業」,直到9月24日中午,才完全解除解所有針對樺加沙颱風的預警系統。
氣象署統計,樺加沙颱風影響期間(9/21~9/24),風力在屏東九棚14級 、蘭嶼13級、新北鼻頭角和澎湖西嶼11級;雨量花蓮天祥1002毫米最多,其次是台東利嘉林道995毫米、高雄南天池 732毫米、屏東大漢山708.5毫米;東沙島曾有12米巨浪 、蘭嶼8.6米、台東7.7米、小琉球6.9米。
資料來源:中央氣象署
我是廣告 請繼續往下閱讀
氣象署說明,樺加沙颱風9月18日晚間在關島西方海面形成,起初路徑就預估往西移動,由於途中經過的海水溫度高、垂直風切小,9月20日上午增強為中度颱風,此時距離台灣還有1300多公里,經過將近1天的發展,樺加沙颱風9月21日上午增強為「強烈颱風」,暴風半徑來到300公里。
不斷提升的強度加上廣闊的暴風圈,樺加沙颱風此時成為全球氣象關注焦點「2025風王」的名號不逕而走,氣象署9月21日上午立刻發布「海上颱風警報」,同日傍晚發布「陸上颱風警報」,樺加沙也在這段過程中達到強度最顛峰,近中心風速達每秒58公尺,暴風半徑320公里。
9月22日北部、花東、屏東開始出現明顯雨勢,越晚風雨越大,樺加沙颱風以「巔峰姿態」侵台,暴風圈9月22日上午11時接觸恆春半島陸地,整體雨勢在9月23日達到最高峰,雖然暴風圈離開陸地,樺加沙跑到台灣西南方,但外圍雲系、外圍環流不斷替花東山區、屏東山區帶來「超大豪雨」。
9月23日下午,樺加沙颱風衍生最嚴重的災情,花蓮馬太鞍溪上游的堰塞湖,因水位過高導致「溢流」,洪水、大量土石、泥沙順流而下,馬太鞍溪橋攔腰折斷,花蓮縣光復鄉大面積淹水,宛如末日場景,最終導致14死、34傷、124人失聯。
樺加沙颱風中心並未直接登陸,路徑就是從台灣南方掃過,氣象署其實在9月23日上午就「解除陸上颱風警報」,但無奈樺加沙結構太完整、環流太廣,才導致花東降雨不斷,氣象署甚至在9月23日晚間「解除海上颱風警報」後,同步啟動「豪雨加強作業」,直到9月24日中午,才完全解除解所有針對樺加沙颱風的預警系統。
氣象署統計,樺加沙颱風影響期間(9/21~9/24),風力在屏東九棚14級 、蘭嶼13級、新北鼻頭角和澎湖西嶼11級;雨量花蓮天祥1002毫米最多,其次是台東利嘉林道995毫米、高雄南天池 732毫米、屏東大漢山708.5毫米;東沙島曾有12米巨浪 、蘭嶼8.6米、台東7.7米、小琉球6.9米。
更多「樺加沙颱風來襲」相關新聞。