樺加沙颱風即將來襲,中央氣象署今(21)日上午8時30分正式發布「海上颱風警報」,氣象署簡任技正伍婉華提醒,樺加沙颱風的風雨將漸漸抵達,並在明後兩天達到巔峰;氣象署有可能在今天晚上發布「陸上警報」,樺加沙也會在今天增強為「強烈颱風」。
氣象署指出,中度颱風樺加沙,今天上午8時的中心位置在鵝鑾鼻東南東方約770公里處,以每小時14轉21公里速度,向西北西進行,中心附近最大風速每秒48公尺(每小時173公里),相當於15級風,瞬間最大陣風每秒58公尺(每小時209公里),相當於17級風,7級風暴風半徑280公里,10級風暴風半徑110公里。
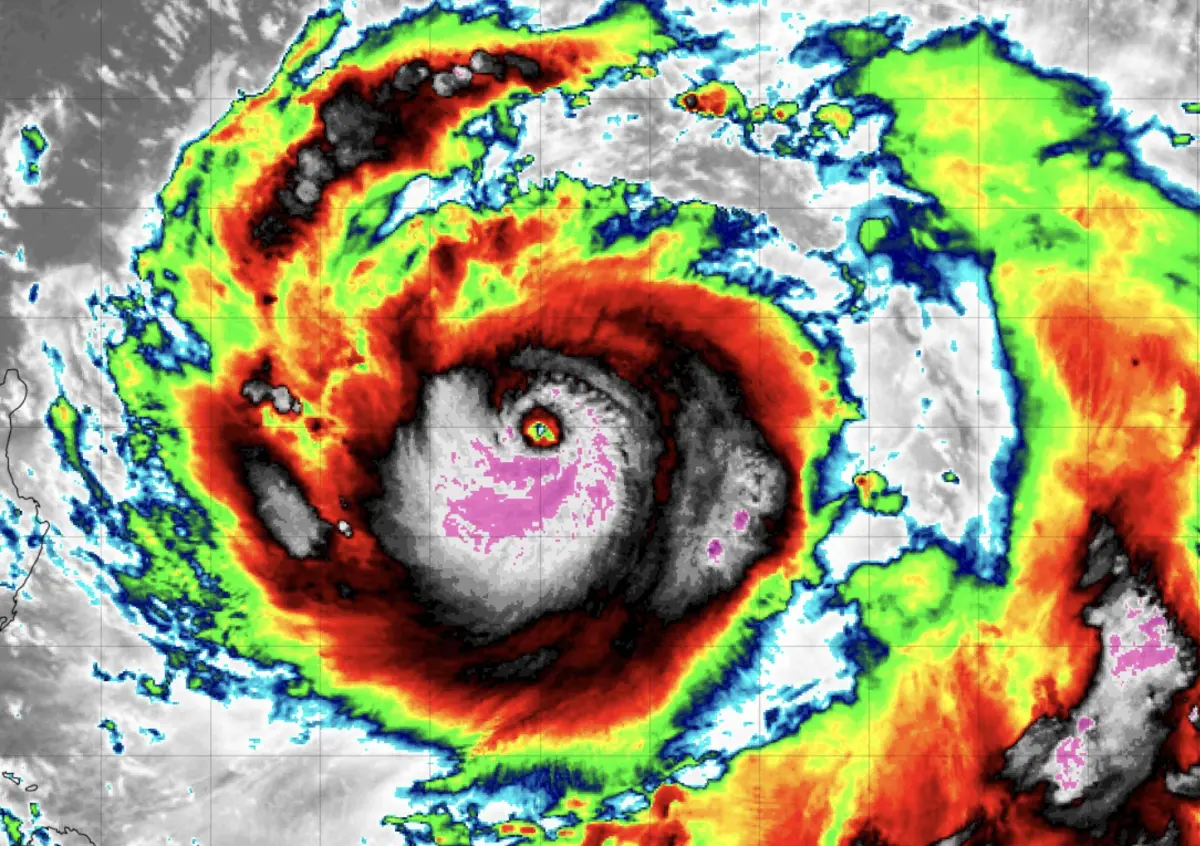
▲樺加沙颱風已經正式發布海上颱風警報,首波警報範圍是台灣東南部海面(含蘭嶼、綠島)及巴士海峽。(圖/中央氣象署cwa.gov.tw) 氣象署簡任技正伍婉華說明,樺加沙颱風已經正式發布海上颱風警報,首波警報範圍是台灣東南部海面(含蘭嶼、綠島)及巴士海峽,樺加沙颱風將在今天增強為強颱,並以強颱姿態侵襲台灣,週一、週二影響最為劇烈;氣象署預估今天傍晚到晚間發布陸上颱風警報。
伍婉華提醒,今天白天,各地還沒有明顯感受到樺加沙颱風的風雨,甚至有陽光露臉,但它的外圍雲系已經逐步在影響,今天基隆北海岸、大台北及宜蘭、花蓮都會有局部短暫陣雨,午後在中南部也有較大的雷陣雨機率。
▲樺加沙颱風將在今天增強為強颱,並以強颱姿態侵襲台灣,週一、週二影響最為劇烈。(圖/中央氣象署cwa.gov.tw) 伍婉華指出,週一、週二東半部、基隆北海岸、屏東地區及各山區有局部大雨或豪雨,花蓮地區、宜蘭及高屏山區也有局部豪雨;樺加沙颱風週三(9/24)白天颱風遠離,但花東降雨仍持續,且有大雨機率。
此外,樺加沙颱風會對台灣帶來強風,今明天蘭嶼、屏東縣局部地區有平均風9級以上或陣風11級以上發生的機率,新北市、桃園市、新竹市、新竹縣、苗栗縣、台中市、彰化縣、雲林縣、嘉義縣、台南市、花蓮縣、台東縣(含綠島)、澎湖縣、金門縣、連江縣局部地區有平均風6級以上或陣風8級以上發生的機率。
資料來源:中央氣象署
「楊柳颱風」相關報導
樺加沙颱風挑戰強颱風王!氣象署8:30將發海警 吳德榮:今晚變天
氣象署:浣熊颱風轉強颱!樺加沙颱風續增強暴風半徑恐破300公里
樺加沙颱風開眼了!挑戰今年最強颱 專家:沒直撲台灣是祖上積德
我是廣告 請繼續往下閱讀
伍婉華提醒,今天白天,各地還沒有明顯感受到樺加沙颱風的風雨,甚至有陽光露臉,但它的外圍雲系已經逐步在影響,今天基隆北海岸、大台北及宜蘭、花蓮都會有局部短暫陣雨,午後在中南部也有較大的雷陣雨機率。
此外,樺加沙颱風會對台灣帶來強風,今明天蘭嶼、屏東縣局部地區有平均風9級以上或陣風11級以上發生的機率,新北市、桃園市、新竹市、新竹縣、苗栗縣、台中市、彰化縣、雲林縣、嘉義縣、台南市、花蓮縣、台東縣(含綠島)、澎湖縣、金門縣、連江縣局部地區有平均風6級以上或陣風8級以上發生的機率。
資料來源:中央氣象署
「楊柳颱風」相關報導
樺加沙颱風挑戰強颱風王!氣象署8:30將發海警 吳德榮:今晚變天
氣象署:浣熊颱風轉強颱!樺加沙颱風續增強暴風半徑恐破300公里
樺加沙颱風開眼了!挑戰今年最強颱 專家:沒直撲台灣是祖上積德
更多「樺加沙颱風來襲」相關新聞。