臺灣大學大氣科學博士林得恩表示表示,中秋前後仍可能再生成1至2個颱風,但影響台灣與否仍待觀察;氣象專家賈新興也提到,10月8日開始,台中以北及宜蘭將迎來偏多降雨,教師節連假則是持續高溫炎熱,且伴隨午後雷陣雨,雙北局部高溫恐達38度。
今年已有20個颱風生成 高於歷年平均
林德恩說明,統計今年為止,南海及西北太平洋海域計有20個颱風生成,比1911至2024年 (共114年) 1至9月的氣候平均值18.6個還多;其中,侵襲台灣的颱風有「丹娜絲、楊柳、樺加沙」等3個,也比侵台颱風的氣候平均值2.93個稍稍多一些。
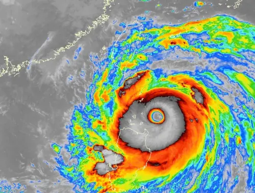
▲今年為止,侵襲台灣的颱風有「丹娜絲、楊柳、樺加沙」等3個。(圖為樺加沙颱風/中央氣象署cwa.gov.tw) 歐美最新預測 中秋前後恐有雙颱生成
林德恩提及,根據今天清晨,歐洲模式及美國模式最新預測都顯示,在中秋節前後,熱帶擾動依舊活躍,「至少還會有1至2個颱風有生成機會」;不過會不會接近或影響臺灣?目前都還言之過早,先不用太擔心,可以再持續追蹤觀察。
賈新興也說明,台灣在10月7日前降雨都偏少,不過10月8日開始,「今年第一波東北季風」有機會南下影響,10月9日起至11月10日,台中以北降雨有偏多的機率,且「宜蘭有連續異常降雨」發生的機率。
▲台灣在10月7日前降雨都偏少,不過10月8日之後,台中以北降雨有偏多的機率。(圖/賈新興提供) 教師節連假悶熱、午後有雨 西半部要注意了
教師節連假天氣方面,中央氣象署提到,未來幾天都將是悶熱再加上午後雷陣雨的天氣,白天氣溫普遍落在33至35度,其中雙北、中南部近山區最為炎熱,雙北高溫有機會飆至36至38度,外出務必注意補水與防曬。
氣象署補充,近期午後天氣還是明顯不穩,降雨範圍以山區、南部地區為主,明(29)日下午,西半部地區將有雷陣雨發展,並可能一路持續到晚間,直到週二(9/30)日清晨,西半部整體天氣都偏不穩定。
教師節連假各地天氣晴時多雲,午後受熱力作用影響,山區有局部熱對流發展機會,整體降雨量不多。(圖/中央氣象署cwa.gov.tw) 資料來源:林老師氣象站臉書、賈新興臉書、中央氣象署
我是廣告 請繼續往下閱讀
林德恩說明,統計今年為止,南海及西北太平洋海域計有20個颱風生成,比1911至2024年 (共114年) 1至9月的氣候平均值18.6個還多;其中,侵襲台灣的颱風有「丹娜絲、楊柳、樺加沙」等3個,也比侵台颱風的氣候平均值2.93個稍稍多一些。
林德恩提及,根據今天清晨,歐洲模式及美國模式最新預測都顯示,在中秋節前後,熱帶擾動依舊活躍,「至少還會有1至2個颱風有生成機會」;不過會不會接近或影響臺灣?目前都還言之過早,先不用太擔心,可以再持續追蹤觀察。
賈新興也說明,台灣在10月7日前降雨都偏少,不過10月8日開始,「今年第一波東北季風」有機會南下影響,10月9日起至11月10日,台中以北降雨有偏多的機率,且「宜蘭有連續異常降雨」發生的機率。
教師節連假天氣方面,中央氣象署提到,未來幾天都將是悶熱再加上午後雷陣雨的天氣,白天氣溫普遍落在33至35度,其中雙北、中南部近山區最為炎熱,雙北高溫有機會飆至36至38度,外出務必注意補水與防曬。
氣象署補充,近期午後天氣還是明顯不穩,降雨範圍以山區、南部地區為主,明(29)日下午,西半部地區將有雷陣雨發展,並可能一路持續到晚間,直到週二(9/30)日清晨,西半部整體天氣都偏不穩定。