國慶連假3天將從本週五(10日)正式登場,許多民眾早已規劃好出遊行程。對此,中央氣象署今(8)日晚間發布國慶連假天氣預報圖表,10月10日國慶日當天白天氣溫27-33度天氣晴朗,但大台北等地區還是會有零星陣雨,除此之外,澎金馬、西北沿海也要注意年度大潮的影響。
氣象署表示,10/10國慶日當天,東北季風減弱,白天氣溫27-33度,府前活動多雲到晴。惟基隆北海岸、東半部、大臺北地區、恆春半島及馬祖有局部零星雨;西半部、澎金多雲到晴,午後苗栗以南山區、南部地區偶陣雨。
此外,週五(10日)之前適逢年度大潮,新北至臺中沿海及澎湖、金門、馬祖漲潮期間潮位偏高,應避免在海岸、港口、潮間帶等區域逗留,並注意海水倒灌與局部淹水等狀況,海邊活動應注意安全。
▲中秋節過後迎接2025年第三波「年度大潮」,一直到10月10日之前,沿海地區務必慎防淹水、海水倒灌。(圖/中央氣象署) 國慶連假逐日天氣預報
10/10(五)國慶日
🌦️東北季風減弱,惟基隆北海岸、東半部、大臺北地區、恆春半島及馬祖有局部/零星雨
🌤️西半部、澎金多雲到晴,午後苗栗以南山區、南部地區偶陣雨。
府前活動多雲到晴,白天氣溫27-33度
⚠️金門、澎湖、中部以北沿海空曠地區、留意強風。
👉8-10日年度大潮,澎金馬/西北漲潮期間留意海水倒灌、局部淹水
10/11(六)
🌦️基隆北海岸、東半部、恆春半島有局部雨
🌤️西半部地區及馬祖、金門、澎湖多雲到晴,午後中南部地區及其他山區有局部短暫雷陣雨。
👉11日基隆北海岸及馬祖有長浪發生的機率,請注意。
10/12(日)
🌦️轉東風至東南風,水氣減少,東半部地區、恆春半島、馬祖零星偶雨
🌤️其他地區及澎湖、金門多雲到晴,午後中南部地區及其他山區局部雷陣雨。
哈隆颱風對台灣的天氣是否有影響?
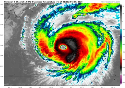
氣象署指出,位於日本南方海面的第22號颱風哈隆(國際命名HALONG)轉東北方向前進,對臺灣天氣無直接影響,其外圍環流可能影響日本關東的天氣,若要前往當地請留意航班資訊;原位於關島海面附近的熱帶性低氣壓於下午2時發展為第23號颱風娜克莉(國際命名NAKRI),預估朝西北方向往日本南方海面前進,因距離遙遠,對臺灣天氣無直接影響。
▲哈隆颱風未來路徑轉向東北,對台灣不會有影響。(圖/翻攝tropical tidbits)
我是廣告 請繼續往下閱讀
此外,週五(10日)之前適逢年度大潮,新北至臺中沿海及澎湖、金門、馬祖漲潮期間潮位偏高,應避免在海岸、港口、潮間帶等區域逗留,並注意海水倒灌與局部淹水等狀況,海邊活動應注意安全。
10/10(五)國慶日
🌦️東北季風減弱,惟基隆北海岸、東半部、大臺北地區、恆春半島及馬祖有局部/零星雨
🌤️西半部、澎金多雲到晴,午後苗栗以南山區、南部地區偶陣雨。
府前活動多雲到晴,白天氣溫27-33度
⚠️金門、澎湖、中部以北沿海空曠地區、留意強風。
👉8-10日年度大潮,澎金馬/西北漲潮期間留意海水倒灌、局部淹水
10/11(六)
🌦️基隆北海岸、東半部、恆春半島有局部雨
🌤️西半部地區及馬祖、金門、澎湖多雲到晴,午後中南部地區及其他山區有局部短暫雷陣雨。
👉11日基隆北海岸及馬祖有長浪發生的機率,請注意。
10/12(日)
🌦️轉東風至東南風,水氣減少,東半部地區、恆春半島、馬祖零星偶雨
🌤️其他地區及澎湖、金門多雲到晴,午後中南部地區及其他山區局部雷陣雨。
哈隆颱風對台灣的天氣是否有影響?
氣象署指出,位於日本南方海面的第22號颱風哈隆(國際命名HALONG)轉東北方向前進,對臺灣天氣無直接影響,其外圍環流可能影響日本關東的天氣,若要前往當地請留意航班資訊;原位於關島海面附近的熱帶性低氣壓於下午2時發展為第23號颱風娜克莉(國際命名NAKRI),預估朝西北方向往日本南方海面前進,因距離遙遠,對臺灣天氣無直接影響。