關鍵字 海鷗颱風

鳳凰颱風重創菲律賓!菲議員怒轟政府貪腐害民:把樹都砍掉了

鳳凰颱風重創菲律賓!菲議員怒轟政府貪腐害民:把樹都砍掉了

今年第26號颱風「鳳凰」(Fung Wong,菲律賓稱「烏萬」,Uwan)重創菲律賓,造成至少8人死亡、140萬人流離失所,由於海鷗颱風(Kalmaegi,菲律賓稱為「蒂諾」,T...

強颱重創越南!至少5人喪生 160萬人無電可用

強颱重創越南!至少5人喪生 160萬人無電可用

颱風「海鷗」週日(11月9日)橫掃越南沿海地區,造成嚴重災情。這場強烈颱風是今年襲擊該國的最新一起極端天氣事件,已確認至少5人喪生、3人失蹤及17人受傷。根...

海鷗已釀菲律賓224死!又要迎戰鳳凰颱風 恐有全國大範圍洪水

海鷗已釀菲律賓224死!又要迎戰鳳凰颱風 恐有全國大範圍洪水

海鷗颱風(Kalmaegi,菲律賓稱為「蒂諾」,Tino)給菲律賓帶來嚴重災損與人命傷亡,截至發稿時間為止,已知死亡人數來到224人、另有135人失蹤。還沒來得及喘口氣...

交通癱瘓!越南逾50萬人緊急撤離 颱風海鷗登陸

交通癱瘓!越南逾50萬人緊急撤離 颱風海鷗登陸

海鷗颱風(Kalmaegi)6日晚間自越南中部登陸,挾帶時速高達149公里的強風橫掃廣義、嘉萊與得樂等多省,造成嚴重災情。沿海多處房屋屋頂被掀、街樹被連根拔起、飯...

影/海鷗颱風掃過越南中部!多地通報災情 屋頂被掀、飯店玻璃碎

影/海鷗颱風掃過越南中部!多地通報災情 屋頂被掀、飯店玻璃碎

今年第25號颱風海鷗(Kalmaegi),在菲律賓造成逾百人死亡之後,週四晚間已在越南再次登陸,由於該國中部近期正飽受暴雨和洪水所苦,接二連三的颱風侵襲,無疑是...

海鷗飛走來了鳳凰!菲律賓氣象局警告成「超級颱風」 顛峰時間曝

海鷗飛走來了鳳凰!菲律賓氣象局警告成「超級颱風」 顛峰時間曝

海鷗颱風近日重創菲律賓,造成至少140人罹難,眼見才剛遠離,菲律賓又將迎來另一個極具破壞力的鳳凰颱風,菲律賓國家氣象單位警告,這可能是一個「超級颱風」,...

鳳凰颱風路徑急轉彎!豪大雨轟炸台灣 氣象署:最快下周一發海警

鳳凰颱風路徑急轉彎!豪大雨轟炸台灣 氣象署:最快下周一發海警

鳳凰颱風路徑將先往西移動,進入南海後北轉靠近台灣,中央氣象署預報員黃恩鴻表示,海上颱風警報最快下周一(11月10日)發布,下週二至下周四(11月11日至11月13...

海鷗颱風升級強颱!一路往西「今晚登陸越南」 恐有嚴重災情

海鷗颱風升級強颱!一路往西「今晚登陸越南」 恐有嚴重災情

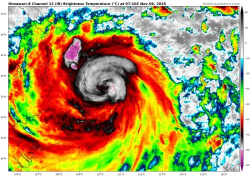
今年第25號颱風「海鷗」雖然對台灣並無影響,但在肆虐菲律賓後,海鷗進入南海重新增強,今(6)日下午2時增強為強烈颱風,中央氣象署表示,海鷗颱風將持續朝越南...

破150人亡!菲律賓「宣佈緊急狀態」 6名軍人救援時喪生

破150人亡!菲律賓「宣佈緊急狀態」 6名軍人救援時喪生

海鷗颱風已造成菲律賓至少破百人死亡,截至目前為止已造成至少150人死亡、127人失蹤,當地民防辦公室週三(5日)表示,居民開始清理受洪水破壞的住宅與商業區,...

鳳凰颱風各國最新路徑!賈新興:恐「北轉貫穿台灣」 連5天暴雨

鳳凰颱風各國最新路徑!賈新興:恐「北轉貫穿台灣」 連5天暴雨

鳳凰颱風路徑在周日前(11月9日)穩定朝西移動,氣象專家賈新興表示,下周鳳凰颱風將會往北轉向,甚至可能從台灣西半部登陸,預估全台將受風雨影響,下周二至下...