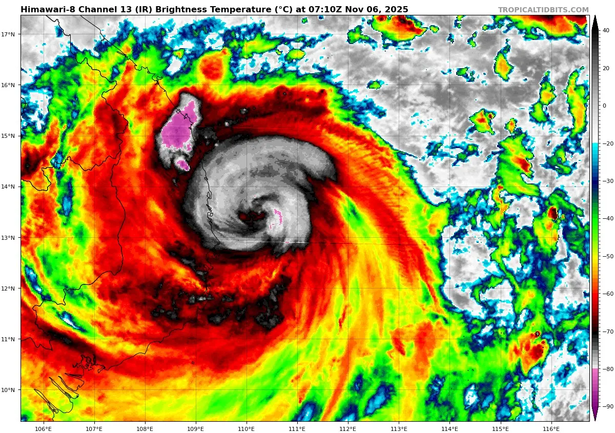
今年第25號颱風「海鷗」雖然對台灣並無影響,但在肆虐菲律賓後,海鷗進入南海重新增強,今(6)日下午2時增強為強烈颱風,中央氣象署表示,海鷗颱風將持續朝越南前進,今天晚上登陸中南半島。

我是廣告 請繼續往下閱讀
氣象署書說明,目前太平洋上有2個颱風,分別是25號颱風「海鷗」以及26號颱風「鳳凰」,海鷗颱風進入南海後整合,今天下午增強為強颱,今晚至明(7)日將對越南一帶產生劇烈影響,有相關行程的民眾務必留心。

▲目前太平洋上有2個颱風,分別是25號颱風「海鷗」以及26號颱風「鳳凰」。(圖/中央氣象署cwa.gov.tw)
▲目前太平洋上有2個颱風,分別是25號颱風「海鷗」以及26號颱風「鳳凰」。(圖/中央氣象署cwa.gov.tw)
對台灣來說,要注意的是鳳凰颱風,氣象署提醒,鳳凰颱風本周往西的這段時間,強度會逐漸上升,不過在下周北轉之後,整體環境比較不利颱風發展,因此颱風北上後強度將會有減弱的趨勢,但颱風接近並影響臺灣的機率相當高。

朱美霖提及,下周二、下周三鳳凰颱風會慢慢通過台灣南部至東部一帶,屆時北部、東半部等迎風面受颱風環流影響,將會出現局部大雨、豪雨,中南部也有明顯雨。雨勢大小、影響時間和區域,都還需視颱風的位置及強度而定。

▲周四開始東北季風減弱,周五至周日各地多雲到晴,下周起鳳凰颱風將帶來大雨和豪雨。(圖/中央氣象署cwa.gov.tw)
▲周四開始東北季風減弱,周五至周日各地多雲到晴,下周起鳳凰颱風將帶來大雨和豪雨。(圖/中央氣象署cwa.gov.tw)
資料來源:中央氣象署