關鍵字 牙買加

影/「世紀颶風」美莉莎肆虐!海地小鎮全毀 牙買加77%地區斷電

影/「世紀颶風」美莉莎肆虐!海地小鎮全毀 牙買加77%地區斷電

強力颶風美莉莎(Hurricane Melissa)當地時間本週二登陸牙買加,不僅在當地造成嚴重災情,牙買加77%地區斷電,同樣重創鄰近的海地、古巴等國,造成至少數10人...

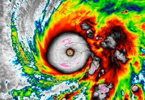
「世紀颶風」美莉莎將登陸牙買加!雲圖太過完美 實際風力超震撼

「世紀颶風」美莉莎將登陸牙買加!雲圖太過完美 實際風力超震撼

今年最強的五級颶風美莉莎(Hurricane Melissa),正挾著每小時185英哩(約每小時295公里)的超強陣風直撲牙買加。衛星雲圖以及紅外線色調強化雲圖顯示了其完美...

影/「怪物颶風」美莉莎逼近!牙買加瑟瑟發抖 風暴中心畫面曝

影/「怪物颶風」美莉莎逼近!牙買加瑟瑟發抖 風暴中心畫面曝

今年最強颶風美莉莎(Hurricane Melissa),正夾帶著時速280公里的強風,以最高等級5級颶風之姿逼近牙買加,從美軍「颶風獵人」飛入美莉莎中心的影片可以看到,...

影/5級颶風美莉莎撲牙買加!被封今年最強風暴 多明尼加先淹了

影/5級颶風美莉莎撲牙買加!被封今年最強風暴 多明尼加先淹了

加勒比海上的颶風美莉莎(Hurricane Melissa),威力已增強至5級颶風,預計當地時間週二上午,就會在牙買加西部登陸,牙買加總理霍爾尼斯(Andrew Holness)呼籲...

影/颶風「美莉莎」直撲牙買加!專家警告:恐引發致災性洪水

影/颶風「美莉莎」直撲牙買加!專家警告:恐引發致災性洪水

加勒比海上的4級颶風美莉莎(Hurricane Melissa),威力持續增強,最大風速約達時速225公里,美國國家颶風中心(NHC)預計,美莉莎將於當地時間週一增強為罕見的...

「牙買加閃電」波爾特真的老了!退休生活曝光 自曝爬樓梯都會喘

「牙買加閃電」波爾特真的老了!退休生活曝光 自曝爬樓梯都會喘

曾在奧運殿堂橫掃8面金牌、締造世界紀錄的牙買加傳奇短跑名將「閃電」波爾特(Usain Bolt),近日現身於東京舉辦的世界田徑錦標賽,即便已退役多年,他的一舉一...

影/博爾特面前封王!賽維爾世錦賽跑出9.77 力退奧運冠亞軍奪金

影/博爾特面前封王!賽維爾世錦賽跑出9.77 力退奧運冠亞軍奪金

在2025年世界田徑錦標賽的男子100公尺項目中,牙買加短跑好手賽維爾(Oblique Seville)在牙買加短跑傳奇博爾特(Usain Bolt)親自到場觀賽下,以個人最佳的9.77...

今日壽星/「閃電」博爾特39歲生日快樂!地球上跑最快的人類

今日壽星/「閃電」博爾特39歲生日快樂!地球上跑最快的人類

8月21日體壇中知名的壽星,來自牙買加的世界短跑紀錄保持人博爾特(Usain Bolt)今天將度過他39歲生日,他被認為是歷史上最偉大的短跑運動員,曾獲得8面奧運會金...

奧運/圓夢!牙買加老將逆轉美國好手 110公尺跨欄奪金

奧運/圓夢!牙買加老將逆轉美國好手 110公尺跨欄奪金

牙買加老將Hansle Parchment終於圓夢!他在東京奧運110公尺跨欄決賽,於最後階段「超車」美國奪冠大熱門金牌Grant Holloway,最終以13秒04的成績奪下金牌。Parch...

34歲生日開趴中鏢 牙買加「閃電」Bolt確診新冠肺炎

34歲生日開趴中鏢 牙買加「閃電」Bolt確診新冠肺炎

牙買加體壇明星「閃電」Usain Bolt才剛歡慶34歲生日不久,今日確診新冠肺炎,他也公布自己的狀況。Bolt選手生涯相當輝煌,從北京奧運開始,他連三屆稱霸了100和2...