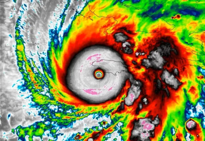
今年最強的五級颶風美莉莎(Hurricane Melissa),正挾著每小時185英哩(約每小時295公里)的超強陣風直撲牙買加。衛星雲圖以及紅外線色調強化雲圖顯示了其完美強度,世界氣象組織示警,這會是一場災難性的世紀風暴,美國國家颶風中心也呼籲牙買加民眾立刻避難。
根據美聯社與CNN報導,美國國家颶風中心表示,美莉莎在登陸前正在繼續增強,最大持續風速為 185 英里/小時(295 公里/小時)。美國國家颶風中心也對牙買加人民發出警告,「為了保護自己免受強風侵襲,最好在你和室外之間有著盡可能多的混凝土牆。一個沒有窗戶的室內房間,最好是一個可以躲避大樹倒塌的房間,這將會是你在建築物中最安全的地方。可以用床墊蓋住自己,戴上頭盔來增加保護」。
美國國家颶風中心稱,美國東部時間上午10點,「美莉莎」中心氣壓讀數為892毫巴(百帕)。除了風速之外,氣壓也是預報員用來判斷風暴強度的另一個數據,當氣壓越低,顯示風暴越強。美莉莎的氣壓下降幅度之大實屬罕見。此前只有兩個大西洋颶風的氣壓比美莉莎更低。分別是2005年威爾瑪颶風的882毫巴,以及1988年吉爾伯特颶風的888毫巴。在風速上,美莉莎更是大西洋歷史上風速第二強的風暴,僅次於 1980 年的颶風艾倫(190 英里/小時),若由登陸當下強度判別,美莉莎可能是登陸陸地時的歷史最強颶風。
世界氣象組織(WMO)也將這次登陸稱為牙買加的世紀風暴,當局已下令強制撤離沿海地區的居民至避難所。聯合國國際移民組織週二表示,一旦颶風襲擊牙買加,該組織將從位於巴貝多島的調運燈具、毯子、帳篷、發電機和其他物品。
這將是牙買加史上面對過的最強颶風,牙買加首都金斯頓的官員希爾 (Robert HP Hill) 告訴CNN,「我們已經採取了一切可能的預防措施,確保所有市民的安全,或者住在經過認證的避難場所,並有足夠的物資幫助他們渡過這場風暴。」
希爾指出洪水是牙買加面臨的最大威脅之一,特別是在容易淹水的低窪地區。美莉莎颶風將為該島帶來大量降雨,這意味著低窪地區和沿海地區附近的其他社區將被洪水淹沒。
社群平台上也有牙買加當地的最新風雨實況,BNO News在X上發布了一段牙買加風雨情形,可看到狂風暴雨肆虐,畫面幾乎難以看清楚;人在牙買加當地的追風達人摩格曼(Josh Morgerman)也罕見發出警告,「請立即前往鋼筋混凝土結構避難。最強風即將到來。情況非常危急。美莉莎可能是大西洋有史以來登陸的最強颶風之一」;他形容,轟隆隆的聲音像爆炸一樣,許多雜物在街上飛。樹木吹彎,耳朵裡感受到種令人難受的耳壓。
我是廣告 請繼續往下閱讀
美國國家颶風中心稱,美國東部時間上午10點,「美莉莎」中心氣壓讀數為892毫巴(百帕)。除了風速之外,氣壓也是預報員用來判斷風暴強度的另一個數據,當氣壓越低,顯示風暴越強。美莉莎的氣壓下降幅度之大實屬罕見。此前只有兩個大西洋颶風的氣壓比美莉莎更低。分別是2005年威爾瑪颶風的882毫巴,以及1988年吉爾伯特颶風的888毫巴。在風速上,美莉莎更是大西洋歷史上風速第二強的風暴,僅次於 1980 年的颶風艾倫(190 英里/小時),若由登陸當下強度判別,美莉莎可能是登陸陸地時的歷史最強颶風。
世界氣象組織(WMO)也將這次登陸稱為牙買加的世紀風暴,當局已下令強制撤離沿海地區的居民至避難所。聯合國國際移民組織週二表示,一旦颶風襲擊牙買加,該組織將從位於巴貝多島的調運燈具、毯子、帳篷、發電機和其他物品。
這將是牙買加史上面對過的最強颶風,牙買加首都金斯頓的官員希爾 (Robert HP Hill) 告訴CNN,「我們已經採取了一切可能的預防措施,確保所有市民的安全,或者住在經過認證的避難場所,並有足夠的物資幫助他們渡過這場風暴。」
希爾指出洪水是牙買加面臨的最大威脅之一,特別是在容易淹水的低窪地區。美莉莎颶風將為該島帶來大量降雨,這意味著低窪地區和沿海地區附近的其他社區將被洪水淹沒。
社群平台上也有牙買加當地的最新風雨實況,BNO News在X上發布了一段牙買加風雨情形,可看到狂風暴雨肆虐,畫面幾乎難以看清楚;人在牙買加當地的追風達人摩格曼(Josh Morgerman)也罕見發出警告,「請立即前往鋼筋混凝土結構避難。最強風即將到來。情況非常危急。美莉莎可能是大西洋有史以來登陸的最強颶風之一」;他形容,轟隆隆的聲音像爆炸一樣,許多雜物在街上飛。樹木吹彎,耳朵裡感受到種令人難受的耳壓。