關鍵字 今天天氣

今晨下探10.5度!吳德榮:明起連3天晴朗 下周又有東北季風殺到

今晨下探10.5度!吳德榮:明起連3天晴朗 下周又有東北季風殺到

中央氣象署表示,今(27)因東北季風影響,全台呈現濕冷天氣狀態,北部地區降雨機率比較高的時段在上半天。氣象專家吳德榮在「洩天機教室」中表示,今晨最低溫在...

天氣預報/天琴颱風掃水!北部、東部又濕又冷 今晚還有12度低溫

天氣預報/天琴颱風掃水!北部、東部又濕又冷 今晚還有12度低溫

東北季風增強、天琴颱風外圍水氣抵達,中央氣象署示,今(27)日北台灣、東半部會出現雨勢;氣溫則是早晚溫差大的型態,今晚至周六清晨(11月29日),中部以北、...

天氣/明天要下雨了!12度低溫再冷3天 氣象署:周末短暫回暖

天氣/明天要下雨了!12度低溫再冷3天 氣象署:周末短暫回暖

東北季風增強、天琴颱風外圍水氣抵達,中央氣象署預報預報員曾昭誠表示,今(26)日晚上至明(27)日,北台灣、東半部會出現雨勢;氣溫則是早晚溫差大的型態,明...

首波冷氣團何時來?賈新興:跨年前可能都沒有 「暖冬」機率增高

首波冷氣團何時來?賈新興:跨年前可能都沒有 「暖冬」機率增高

11月開始氣溫下滑,一波波冷空氣影響台灣,但強度都僅維持東北季風,氣象專家賈新興表示,入冬「首波冷氣團」,目前來看可能一直到1月3日現身的機會都偏低,最主...

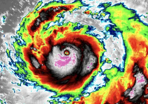
天琴颱風路徑確定了!明起影響台灣 周五清晨「氣溫再下探12度」

天琴颱風路徑確定了!明起影響台灣 周五清晨「氣溫再下探12度」

天氣風險公司資深顧問吳聖宇表示,天琴颱風路徑往西,沒有接近或威脅台灣的機會,但外圍雲系北飄導致台灣今(26)日雲量增多,明(27)日有較多水氣;明後兩天北...

天琴颱風估今生成!氣象署:冷空氣籠罩全台 台南以北入夜剩12度

天琴颱風估今生成!氣象署:冷空氣籠罩全台 台南以北入夜剩12度

台灣南方的熱帶低壓今(25)日有機會增強為「天琴颱風」,中央氣象署預報員劉宇其表示,颱風外圍水氣將使北台灣、宜蘭,在明(26)日晚上至周四(11月27日)出現...

天氣/天琴颱風最快今生成!外圍雲準備飄進台灣 夜晚探12度好冷

天氣/天琴颱風最快今生成!外圍雲準備飄進台灣 夜晚探12度好冷

氣象專家賈新興表示,第27號颱風天琴最快今天生成,預估今晚到週三有機會發整成颱,對台灣沒有直接影響。天氣風險公司資深顧問吳聖宇提醒,明(26)日熱帶性低氣...

天氣預報/越晚越冷!北台灣「入夜跌到14度」 天琴颱風準備生成

天氣預報/越晚越冷!北台灣「入夜跌到14度」 天琴颱風準備生成

東北季風影響,中央氣象署表示,今(25)日一整天越來越冷,今晚至周三清晨(11月26日),中部以北下探14度,空曠地區只有12至13度,周四、周五(11月27日至11月...

厚外套準備好!冷空氣抵台「明天剩12度」 天琴颱風估周三生成

厚外套準備好!冷空氣抵台「明天剩12度」 天琴颱風估周三生成

東北季風今(24)日晚間抵達台灣,中央氣象署預報員鄭傑仁表示,明(25)日一整天越來越冷,明晚至周三清晨(11月26日),中部以北下探14度,空曠地區只有12至13...

氣溫雪崩式暴跌!鄭明典:這波「全台降溫」很有感:冷空氣被加強

氣溫雪崩式暴跌!鄭明典:這波「全台降溫」很有感:冷空氣被加強

本周東北季風一波波南下襲台,今晚至周三清晨(11月24日至11月25日),最低溫可能只剩12度,前中央氣象局局長鄭明典表示,雖然這波冷高壓不算特別強,但因為低壓...