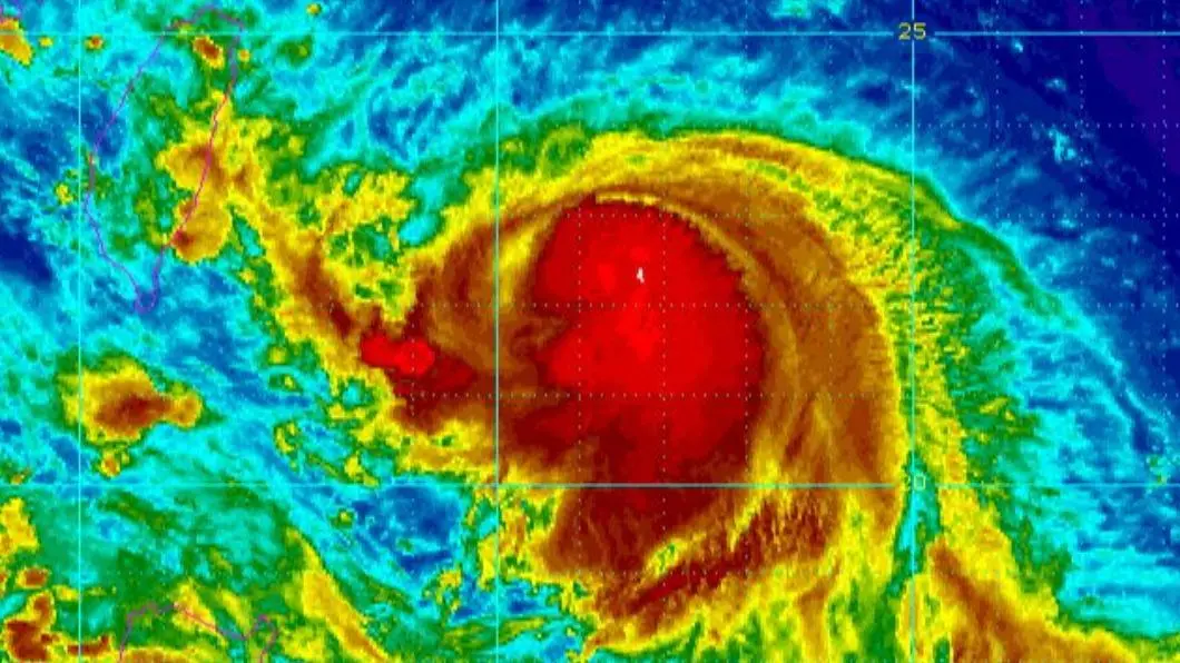
海葵颱風(HAIKUI)2日8時的中心位置在鵝鑾鼻的東方約570公里海面上,以每小時16公里速度,向西進行。由於海葵颱風路徑詭譎多變、大幅南修,從「西北颱」在短時間內變成「穿心颱」,估明(3)晚從台東登陸台灣,也不排除路徑又南修、改於恆春半島登陸。 我是廣告 請繼續往下閱讀 氣象局宣布今(2)日上午11時30分發布「陸上颱風警報」,提醒民眾海葵颱風強度及暴風半徑仍會增強,明後兩天(9月3日、4日)影響台灣最甚。氣象局在11時40分舉行記者會,說明颱風最新狀況,《NOWnews今日新聞》直播帶您同步掌握。更多「海葵颱風動態」相關新聞。 相關新聞 快訊/海葵颱風上午發陸警!4縣市大雨特報 北北基宜暴雨到入夜海葵颱風「路徑變化超大」!歐美預測大迴轉 恐二次登陸毀滅襲台海葵颱風超級變變變!「西北颱鬼轉穿心颱」 一圖看路徑修多大氣象人員被搞翻!海葵颱風「路徑太難預測」 4年紀錄高機率打破 海葵颱風中央氣象局颱風動態