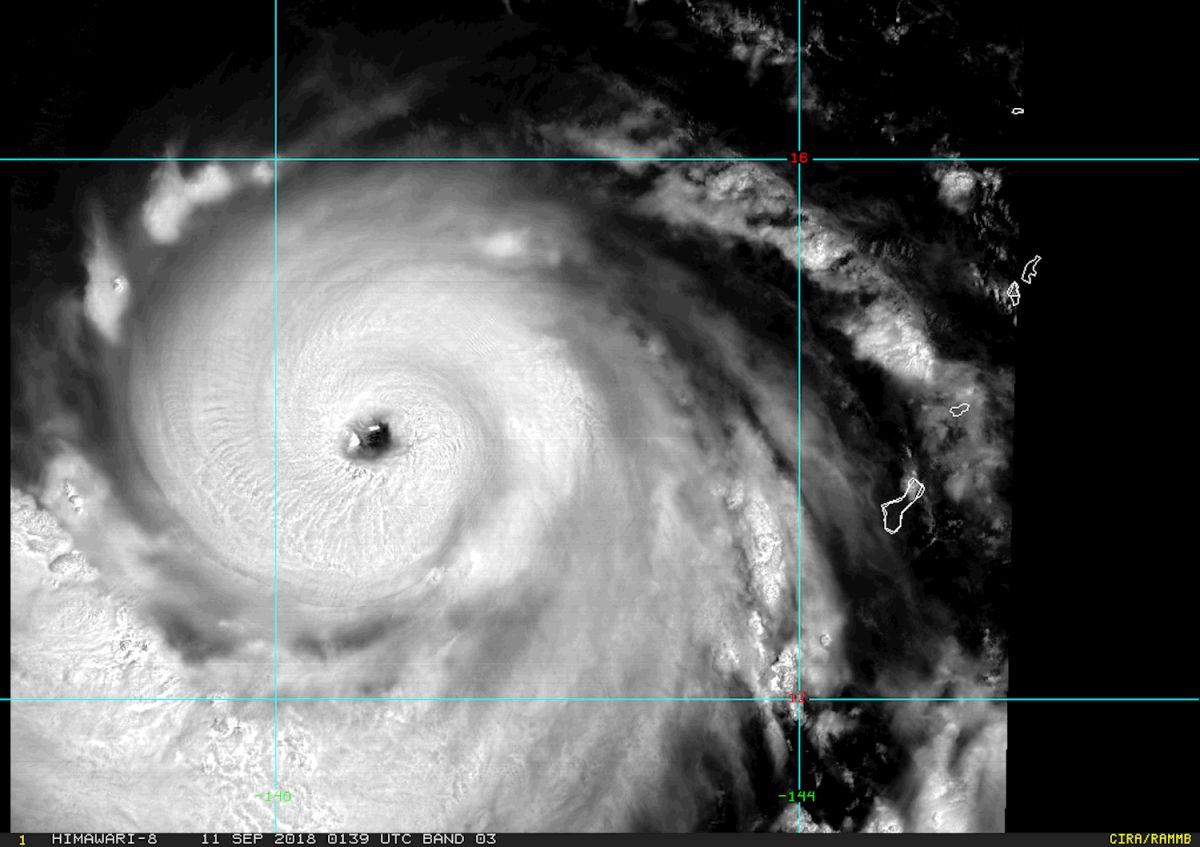
南台灣才剛被豪雨重創,山竹颱風接著襲來!中央氣象局表示,山竹今( 11 )日上午 8 時增強為強烈颱風。氣象專家李富城提醒,山竹這周末到台灣附近時,「 10 級風暴風半徑跑到中南部」,且因暴風半徑太大,北部風也會一樣大。天氣風險管理公司總經理彭啟明說,該颱風最強巔峰時期可能是周四( 13 日)、周五( 14 日)、周六( 15 日),成為今( 2018 )年西太平洋最強颱風的機會相當高。

▲山竹颱風路徑潛勢預測圖(圖/中央氣象局)
▲山竹颱風路徑潛勢預測圖(圖/中央氣象局)
氣象局預報員官欣平說,目前預估山竹會從呂宋島到巴士海峽穿過去,但不排除繼續調整,影響程度有可能改變;屆時東半部、南部的風雨較其他地區明顯,北部因東北風作用也會下雨,整體來說北部、東半部、南部的天氣會受到較大影響。

▲山竹颱風七級風暴風圈侵襲機率圖(圖/中央氣象局)
▲山竹颱風七級風暴風圈侵襲機率圖(圖/中央氣象局)
官欣平說,山竹到底對台影響多大,周四是關鍵,屆時就能大致確定山竹路徑,研判是否發布海警甚至陸警。
李富城在臉書說,山竹到巴士海峽後可能往北偏一點,這條路徑對台灣不太有利,來到台灣附近時,「 10 級風暴風半徑跑到中南部」。他進一步引用美國全球預報系統( GFS )資料表示,預估山竹周五晚間 8 時到巴士海峽偏北一點,這位置對台灣東部、東南部非常不好,帶來風雨大,之後換西南部風雨增強,因這颱風半徑太大,所以北部的風一樣大,屆時是一個大型的強烈颱風,大家不要掉以輕心。
彭啟明也指出,星期一( 10 日)開始各國的颱風路徑預測的分歧已大幅度縮小,朝向台灣和菲律賓間、巴士海峽較偏南的位置;這仍然有調整空間,因目前在預測上,還是取決於太平洋高壓的強度及位置,關鍵點在周四、周五高壓勢力的邊緣,從往西到偏西北方轉彎走的態勢,偏一點就會差一些,這都在誤差範圍內。
我是廣告 請繼續往下閱讀
▲山竹颱風路徑潛勢預測圖(圖/中央氣象局)

▲山竹颱風路徑潛勢預測圖(圖/中央氣象局)
氣象局預報員官欣平說,目前預估山竹會從呂宋島到巴士海峽穿過去,但不排除繼續調整,影響程度有可能改變;屆時東半部、南部的風雨較其他地區明顯,北部因東北風作用也會下雨,整體來說北部、東半部、南部的天氣會受到較大影響。
▲山竹颱風七級風暴風圈侵襲機率圖(圖/中央氣象局)

▲山竹颱風七級風暴風圈侵襲機率圖(圖/中央氣象局)
官欣平說,山竹到底對台影響多大,周四是關鍵,屆時就能大致確定山竹路徑,研判是否發布海警甚至陸警。
李富城在臉書說,山竹到巴士海峽後可能往北偏一點,這條路徑對台灣不太有利,來到台灣附近時,「 10 級風暴風半徑跑到中南部」。他進一步引用美國全球預報系統( GFS )資料表示,預估山竹周五晚間 8 時到巴士海峽偏北一點,這位置對台灣東部、東南部非常不好,帶來風雨大,之後換西南部風雨增強,因這颱風半徑太大,所以北部的風一樣大,屆時是一個大型的強烈颱風,大家不要掉以輕心。
彭啟明也指出,星期一( 10 日)開始各國的颱風路徑預測的分歧已大幅度縮小,朝向台灣和菲律賓間、巴士海峽較偏南的位置;這仍然有調整空間,因目前在預測上,還是取決於太平洋高壓的強度及位置,關鍵點在周四、周五高壓勢力的邊緣,從往西到偏西北方轉彎走的態勢,偏一點就會差一些,這都在誤差範圍內。
朋友們早安熱帶低壓穿越巴士海峽,即將升格成輕度颱風,22號颱風山竹,直指巴士海峽,未來還有變化,防風防豪大雨,西南部更要防風防豪大雨
由李富城發佈於 2018年9月10日 星期一