印尼蘇拉威西島上( 9 )月 28 日遭規模 7.5 強震襲擊,隨後引發大規模海嘯,造成慘重傷亡,有專家警告,台灣同樣位在地震頻繁的環太平洋地震帶上,而位於西南方的馬尼拉海溝的地震週期已到,若接下來發生規模 8 的地震,恐掀起 5 米高海嘯襲擊南台灣,提醒民眾不可輕忽。
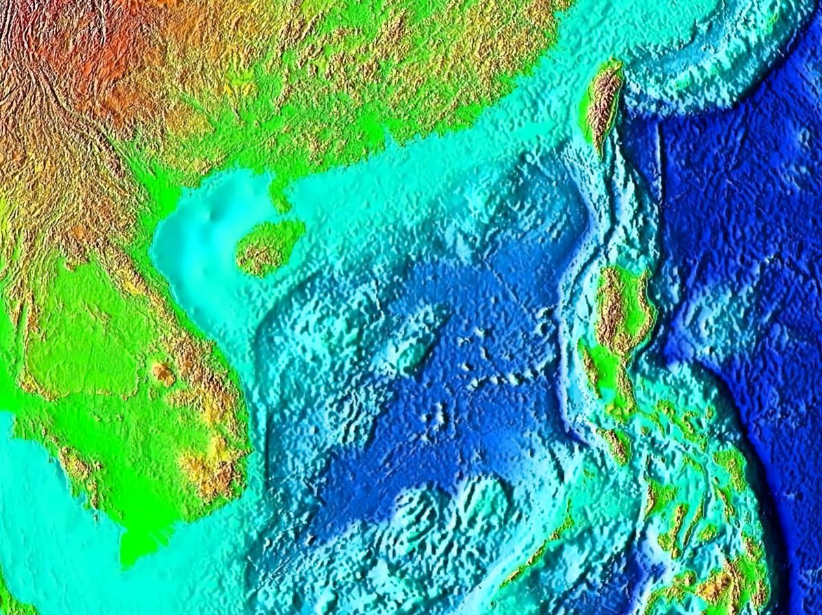
中央大學水文及海洋科學研究所副教授吳祚任指出,台灣雖地震頻傳,卻皆能免於海嘯威脅,不過位於台灣西南方的馬尼拉海溝發生規模 9 的地震週期約 700 年、規模 8.5 約 250 年、規模 8 約 100 年,如今早已超過這些時間,若發生規模 8 以上的地震,短短 15 分鐘內就會掀起 5 米高海嘯,高雄、屏東等縣市將受害。
事實上,高雄於 1781 年曾發生海嘯,造成當地災情,1867 年在基隆也曾發生海嘯,導致金山等地區人員傷亡。雖然有不少專家認為東部地形陡坡、海底深度、人口密度都相對較低,即使發生海嘯也沒有影響,但這只說對了 9 成,因人口聚集在花蓮等平坦區域,也是海嘯威脅的「破口」,容易釀成災情,提醒民眾不可輕忽。
我是廣告 請繼續往下閱讀
事實上,高雄於 1781 年曾發生海嘯,造成當地災情,1867 年在基隆也曾發生海嘯,導致金山等地區人員傷亡。雖然有不少專家認為東部地形陡坡、海底深度、人口密度都相對較低,即使發生海嘯也沒有影響,但這只說對了 9 成,因人口聚集在花蓮等平坦區域,也是海嘯威脅的「破口」,容易釀成災情,提醒民眾不可輕忽。