強颱「玉兔」昨威力持續增強,氣象局指出,下午 2 時的中心位置距離鵝鑾鼻東南東方約 2450 公里的海面上,向西北西移動,未來將持續朝菲律賓東北東方海面靠近。雖然目前不確定性仍大,但這是繼山竹颱風之後,第 2 個達到「傳說等級」的颱風,不可輕忽。
從各國最新預測路徑可見,美國海軍預測玉兔會提早北轉;美國和歐洲認為到了日本琉球南方後大角度轉向;加拿大表示比歐、美還晚一點大角度轉向;日本和英國則估「直衝菲律賓」。
▲玉兔颱風未來走向不確定性大,各國預測路徑差異懸殊。(圖/翻攝自臉書「台灣颱風論壇|天氣特急」)
臉書粉絲專頁「台灣颱風論壇|天氣特急」指出,玉兔颱風現進入眼牆置換期,強度稍稍減弱,但若置換順利,有機會再次巔峰,未來 2 天是關鍵。另外,下周一( 29 日)玉兔抵達菲律賓東北方海域時,是台灣命運的十字路口,若靠近菲律賓或台灣,將會與東北季風產生冷暖互動,恐對北台灣造成極大威脅。
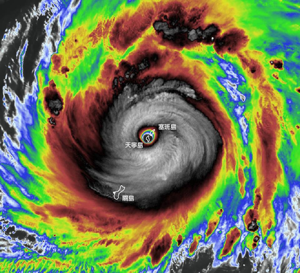
玉兔轉為強颱後,關島首當其衝,從當地電視台貼出的畫面可見,不僅路樹、車子被吹得東倒西歪,還有住家屋頂整片掀起,相當駭人。氣象局副局長鄭明典也稱,玉兔有機會成為今年「颱風王」,可能沒有建築物能承受玉兔眼牆的強風,可見威力之大,提醒民眾務必留意。
▲強颱玉兔威力驚人,造成關島地區災情慘重,整個城市滿目瘡痍。(圖/翻攝自YouTube)
▲強颱玉兔威力驚人,造成關島地區災情慘重,整個城市滿目瘡痍。(圖/翻攝自YouTube)
我是廣告 請繼續往下閱讀
臉書粉絲專頁「台灣颱風論壇|天氣特急」指出,玉兔颱風現進入眼牆置換期,強度稍稍減弱,但若置換順利,有機會再次巔峰,未來 2 天是關鍵。另外,下周一( 29 日)玉兔抵達菲律賓東北方海域時,是台灣命運的十字路口,若靠近菲律賓或台灣,將會與東北季風產生冷暖互動,恐對北台灣造成極大威脅。
玉兔轉為強颱後,關島首當其衝,從當地電視台貼出的畫面可見,不僅路樹、車子被吹得東倒西歪,還有住家屋頂整片掀起,相當駭人。氣象局副局長鄭明典也稱,玉兔有機會成為今年「颱風王」,可能沒有建築物能承受玉兔眼牆的強風,可見威力之大,提醒民眾務必留意。